Der markierte Bereich wird gewidmet.
Der markierte Bereich wird gewidmet.
Der markierte Bereich wird gewidmet.
Der markierte Bereich wird gewidmet.
Der markierte Bereich wird gewidmet.
Der markierte Bereich wird nicht gewidmet.
Der markierte Bereich wird nicht gewidmet.
Der markierte Bereich wird gewidmet.
Der markierte Bereich wird gewidmet.
Der markierte Bereich wird gewidmet.
Der markierte Bereich wird gewidmet.
Der markierte Bereich wird gewidmet.
Der markierte Bereich wird gewidmet.
Der markierte Bereich wird gewidmet.
Der markierte Bereich wird gewidmet.
Der markierte Bereich wird gewidmet.
Der markierte Bereich wird gewidmet.
Der markierte Bereich wird gewidmet.
Der markierte Bereich wird gewidmet.
Der markierte Bereich wird gewidmet.
Der markierte Bereich wird gewidmet.
Der markierte Bereich wird gewidmet.
Der markierte Bereich wird gewidmet.
Der markierte Bereich wird gewidmet.
Der markierte Bereich wird gewidmet.
Der markierte Bereich wird gewidmet.
Der markierte Bereich wird gewidmet.
Vollzug des Landesstraßengesetzes für Rheinland-Pfalz (LStrG);
Widmung von Gemeindestraßen
Die Verbandsgemeindeverwaltung Rhein-Nahe erlässt als zuständige Behörde im Namen und im Auftrag der Stadt Bacharach folgende
Widmungsverfügung.
Die nachfolgenden Verkehrsflächen werden gemäß § 36 Abs. 1 in Verbindung mit § 14 des Landesstraßengesetzes (LStrG) für Rheinland-Pfalz in der Fassung vom 01.08.1977 (GVBI. S. 273), zuletzt geändert durch Gesetz vom 20.12.2024 (GVBI. S. 473), als Gemeinde- straßen, -wege und –plätze im Sinne des § 3 Ziffer 3 LStrG dem öffentlichen Verkehr gewidmet:
Bacharach Stadt
| Am Rhein | |
| Gemeindeplatz (Parkplatz) | Flur 11, Parz. 17 |
| Auf der Münze | |
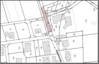
| Gemeindestraße | Flur 11, Parz. 29 (teilweise/ Bild 1), 32, 164 (teilweise/Bild 2) |
| Gemeindeweg | Flur 11, Parz. 164 (teilweise/ Bild 3) |
Bild 1
Bild 2
Bild 3
B9
| Gemeindeplatz (Parkplatz) | Flur 11, Parz. 34, 35, 37, 38, 39 |
| Bauerstraße | |
| Gemeindestraße | Flur 11, Parz. 243, 246, 251, 252 |
| Blücherstraße | |
| Gemeindestraße | Flur 20, Parz. 27/2, 111/2, 100/2 |
| Flur 11, Parz. 539, 503 |
| Gemeindeweg | Flur 11, Parz. 539, 542 |
| Gemeindestraße (Bürgersteig) | Flur 11, Parz. 475/2 |
| Burgweg | |
| Gemeindeweg | Flur 11, Parz. 475/1, 474, 467/1 |
| Fleischstraße | |
| Gemeindestraße | Flur 11, Parz. 187, 188, 192, 193 |
| Gemeindeweg | Flur 11, Parz. 140 |
| Kranenstraße | |
| Gemeindestraße | Flur 11, Parz. 85, 118 (teilweise/ Bild 4), 283, 290, 291, 294 |
| Gemeindeweg | Flur 11, Parz. 118 (teilweise/ Bild 5) |
Bild 4
Bild 5
Langstraße
| Gemeindestraße | Flur 11, Parz. 180, 181, 198, 206, 244 (teilweise/ Bild 6), 245, 296, 297, 299, 301, 313, 321, 342, 343, 346, 348, 339/1 |
| Gemeindeweg | Flur 11, Parz. 49, 70, 102, 106, 129, 140, 200, 201, 244 (teilweise/ Bild 7) |
Bild 6
Bild 7
| Marktstraße | |
| Gemeindestraße | Flur 11, Parz. 135 (teilweise/ Bild 8), 207 |
| Gemeindeweg | Flur 11, Parz. 135 (teilweise/ Bild 9) |
Bild 8
Bild 9
| Oberstraße | |
| Gemeindestraße | Flur 11, Parz. 566 (teilweise/ Bild 10) |
| Gemeindeweg | Flur 11, Parz. 566 (teilweise/ Bild 11) |
Bild 10
Bild 11
| Rosenstraße | |
| Gemeindestraße | Flur 11, Parz. 538, 539, 542 |
| Gemeindeweg | Flur 11, Parz. 524 |
| Schulgasse | |
| Gemeindeweg | Flur 11, Parz. 226 |
| Spurgasse | |
| Gemeindestraße | Flur 11, Parz. 328, 333, 334, 337, 339/2, 340, 341 |
| Strandbadweg | |
| Gemeindestraße | Flur 13, Parz. 62 |
| Flur 14, Parz. 134/2 (teilweise/ Bild 12) |
Bild 12
| Von der B9 zur Mainzer Straße | |
| Gemeindestraße | Flur 13, Parz. 75, 76 |
| Zollstraße | |
| Gemeindestraße | Flur 11, Parz. 363, 364 |
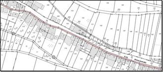
| Bacharach - Steeg | |
| Blücherstraße | |
| Gemeindestraße | Flur 30, Parz.36 |
| Flur 31, Parz. 15, 19 |
| Gemeindeweg | Flur 29, Parz. 51 |
| Flur 30, Parz. 68 |
| Flur 31, Parz. 13 |
| Flur 25, Parz. 290 |
| Gemeindeparkplatz | Flur 20, Parz. 269/1, 269/2, 269/3, 269/4, 291/3, 291/5, 303 (teilweise/Bild 1), 291/2 (teilweise/Bild 2) |
| Flur 27, Parz. 1 |
| Gemeindestraße (Bürgersteig) | Flur 29, Parz. 1 |
| Flur 30, Parz. 22/1 |
| Flur 31, Parz. 1 |
Bild 1
Bild 2
| Borbachstraße | |
| Gemeindeweg | Flur 19, Parz. 209/2 (teilweise/ Bild 3), 228/1 (teilweise/ Bild 4) |
| Flur 25, Parz. 94/1, 99/2 (teilweise/ Bild 5), 139, 141/1, 142/1, 143 |
| Gemeindestraße (Bürgersteig) | Flur 25, Parz. 35, 98/1 |
Bild 3
Bild 4
Bild 5
| Bacharach - Henschhausen | |
| Am Schiffelborn | |
| Gemeindestraße | Flur 4, Parz. 160 |
| Bergstraße | |
| Gemeindestraße | Flur 4, Parz. 13 |
| Gutenfelsstraße | |
| Gemeindestraße | Flur 3, Parz. 1/4 (teilweise/Bild 1) |
| Flur 4, Parz. 21, 158 |
Bild 1
| Heideberstraße | |
| Gemeindestraße | Flur 4, Parz. 66/1, 66/2, 66/3, 66/4 |
| Lindenstraße | |
| Gemeindestraße | Flur 4, Parz. 52/1, 52/2 (teilweise/ Bild 2) |
| Gemeindeweg | Flur 4, Parz. 145 |
Bild 2
| Pfaffenstraße | |
| Gemeindestraße | Flur 4, Parz. 113, 125/2, 140 |
| Pfalzblickstraße | |
| Gemeindestraße | Flur 4, Parz. 1, 25/2, 25/5, 25/6, 25/8 |
| Ringstraße | |
| Gemeindestraße | Flur 4, Parz. 14, 84 |
| Bacharach – Medenscheid | |
| Bacchusstraße | |
| Gemeindestraße | Flur 19, Parz. 20/6 |
| Flur 23, Parz. 58 |
| Blühender Bergweg | |
| Gemeindeweg | Flur 23, Parz. 77 (teilweise/Bild 1) |
Bild 1
| Brunnenstraße | |
| Gemeindestraße | Flur 19, Parz. 20/5 |
| Flur 23, Parz. 73, 21 |
| Fürstenbergstraße | |
| Gemeindestraße | Flur 19, Parz. 2 (teilweise/Bild 2) |
| Flur 23, Parz. 48, 55, 69 |
| Flur 24, Parz. 44/2 (teilweise/Bild 3) |
| Gemeindeweg | Flur 19, Parz. 2 (teilweise/Bild 4) |
Bild 2
Bild 3
Bild 4
| Reingard-Heider-Straße | |
| Gemeindestraße | Flur 23, Parz. 37 |
| Schlittenweg | |
| Gemeindestraße | Flur 19, Parz. 11/2, 11/5 |
| Flur 23, Parz. 59 |
| Weingartenstraße | |
| Gemeindestraße | Flur 19, Parz. 21/2 |
| Flur 23, Parz. 10, 77 (teilweise/Bild 5), 85 |
Bild 5
| Bacharach – Neurath | |
| Am Molkenborn | |
| Gemeindestraße | Flur 17, Parz. 43, 79/2, 80 (teilweise/ Bild 1) |
Bild 1
| Auf dem Damm | |
| Gemeindestraße F | lur 17, Parz. 52/5 (teilweise/ Bild 2) |
Bild 2
| Bächelweg | |
| Gemeindestraße | Flur 17, Parz. 85 |
| Kirchweg | |
| Gemeindestraße | Flur 17, Parz. 49, 93 (teilweise/ Bild 3) |
Bild 3
| Römerstaße | |
| Gemeindestraße | Flur 18, Parz. 47 |
| Schulweg | |
| Gemeindestraße | Flur 17, Parz. 17 |
| Gemeindeweg | Flur 17, Parz. 27 |
| Stahleckstraße | |
| Gemeindestraße | Flur 17, Parz. 33, 36/2 |
Belehrung über den Rechtsbehelf:
Der Widerspruch ist innerhalb eines Monats, nachdem der Verwaltungsakt dem Beschwerten bekanntgegeben worden ist, schriftlich, in elektronischer Form nach § 3a Absatz 2 des Verwaltungsverfahrensgesetzes, schriftformersetzend nach § 3a Absatz 3 des Verwaltungsverfahrensgesetzes und § 9a Absatz 5 des Onlinezugangsgesetzes oder zur Niederschrift bei der Behörde zu erheben, die den Verwaltungsakt erlassen hat (Verbandsgemeindeverwaltung Rhein-Nahe, Koblenzer Straße 18, 55411 Bingen am Rhein).
Die Frist wird auch durch Einlegung bei der Behörde, die den Widerspruchsbescheid zu erlassen hat, gewahrt (Kreisverwaltung Mainz-Bingen – Kreisrechtsausschuss –, Georg-Rückert-Straße 11, 55218 Ingelheim am Rhein).
Die Widmungen treten am Tage nach der öffentlichen Bekanntmachung in Kraft.
Der Verwaltungsakt im Original, sowie Planausschnitte der aufgeführten Flurstücke können zu jedermanns Einsicht zu folgenden Öffnungszeiten bei der Verbandsgemeindeverwaltung Rhein-Nahe, Zimmer 301, Koblenzer Straße 18, 55411 Bingen eingesehen werden:
| Montag | 08:00-12:00 Uhr |
| Dienstag | 08:00-12:00 Uhr |
| Mittwoch | 08:00-12:00 und 14:00-18:00 Uhr |
| Donnerstag | 08:00-12:00 Uhr |
| Freitag | 07:30-12:00 Uhr |
Um vorherige Terminvereinbarung mit Herrn Martin Olbricht, 06721-304-271 oder martin.olbricht@vgrn.de, wird gebeten.
Koblenzer Straße 18, 55411 Bingen