Titel Logo
Rhein-Nahe aktuell
Ausgabe 40/2022
Amtliche und öffentliche Bekanntmachungen
Zurück zur vorigen Seite
Zurück zur ersten Seite der aktuellen Ausgabe

Widmung von Straßen Manubach

Manubach

Gemäß §36 des Landesstraßengesetzes für Rheinland-Pfalz (LStrG) vom 01.08.1977 (GVBI. 1977 S. 273), in der derzeit geltenden Fassung, werden die nachstehenden Gemeinde -straßen, -wege und -plätze aufgrund des Beschlusses des Ortsgemeinderates Manubach vom 13.06.2022, wie folgt dem öffentlichen Verkehr gewidmet:

Am Turm

Gemeindestraße Flur 19, Parz. 75

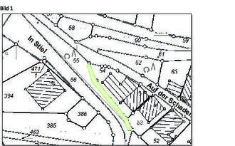
Auf der Schadenbach

Gemeindestraße Flur 19, Parz. 47, 66, 55 (teilweise/ Bild 1)

Bild 1

Der markierte Bereich wird gewidmet.

Im Mönchwingert

Gemeindestraße Flur 13, Parz. 549/1, 550/1, 551/1, 552/1, 554/1, 555/1,

In der Grube

Bürgersteig Flur 13, Parz. 535/2, 537/2, 539/3, 540/2, 541/2, 542/2, 543/4, 544/3, 545/2, 546/2, 716/2

In der Zech

Gemeindestraße Flur 19, Parz. 59 (teilweise/Bild 2), 61

Bild 2

Der markierte Bereich wird gewidmet.

Rheingoldstraße

Bürgersteig Flur 19, Parz. 32, 153, 180, 215, 247, 288, 298

Flur 20, Parz. 8, 10

Gehwege

Gemeindewege

Rheingoldstraße Flur 19, Parz. 241, 280

Am Turm Flur 19, Parz. 79

Auf der Schadenbach Flur 19, Parz. 34 (teilweise/ Bild 3)

Bild 3

Der markierte Bereich wird gewidmet.

Rechtsbehelfsbelehrung:

Gegen diese Widmung kann innerhalb eines Monats nach Bekanntgabe Widerspruch erhoben werden. Der Widerspruch ist schriftlich oder zur Niederschrift (derzeit nicht in elektronischer Form) bei der Verbandsgemeindeverwaltung Rhein-Nahe, Koblenzer Straße 18, 55411 Bingen-Bingerbrück einzureichen. Bei schriftlicher Einlegung des Widerspruchs bleibt die Widerspruchsfrist nur gewahrt, wenn der Widerspruch noch vor Ablauf der Frist (ein Monat) bei der Verbandsgemeindeverwaltung Rhein-Nahe in Bingen-Bingerbrück eingegangen ist. Die Frist gilt auch dann als gewahrt, wenn der Widerspruch rechtzeitig beim Kreisrechtsausschuss der Kreisverwaltung Mainz-Bingen, Georg-Rückert-Straße 11, 55218 Ingelheim am Rhein, erhoben wird.

Münster-Sarmsheim, den 27.09.2022
Jürgen Dietz, Ortsbürgermeister