Titel Logo
Rhein-Nahe aktuell
Ausgabe 41/2022
Amtliche und öffentliche Bekanntmachungen
Zurück zur vorigen Seite
Zurück zur ersten Seite der aktuellen Ausgabe

Widmung von Straßen in Breitscheid

Gemäß § 36 des Landesstraßengesetzes für Rheinland-Pfalz (LStrG) vom 01.08.1977 (GVBI. 1977 S. 273), in der derzeit geltenden Fassung, werden die nachstehenden Gemeinde -straßen, -wege und -plätze aufgrund des Beschlusses des Ortsgemeinderates Breitscheid vom 28.04.2022, wie folgt dem öffentlichen Verkehr gewidmet:

Backhausweg

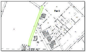
Gemeindestraße Flur 3, Parz. 45/3, 46/3, 46/5, 48/2, 48/3, 48/4, 48/5, 48/6 (teilweise/Bild 1), 51/1, 52/4

Bild 1

Der markierte Bereich wird gewidmet

Brunnenweg

Gemeindewege Flur 3, Parz. 99/2

Dorfstraße

Gemeindestraße Flur 3, Parz. 1/5, 51/2, 52/6, 52/8, 53/3, 90/1, 100/2, 102/1, 103/1, 105

Erbacher Weg

Gemeindestraße Flur 3, Parz.78

Hinterbergweg

Gemeindestraße Flur 3, Parz. 72, 75/1

Hustweg

Gemeindestraße Flur 3, Parz. 2/1, 3/1, 3/2, 4/2 (teilweise/ Bild 2)

Bild 2

Der markierte Bereich wird gewidmet

Im Grund

GemeindestraßeFlur 3, Parz. 54 (teilweise/ Bild 3)

Bild 3

Der markierte Bereich wird gewidmet

Ober dem Dorf

Gemeindestraße Flur 3, Parz. 89/3 (teilweise/ Bild 4)

Bild 4

Der markierte Bereich wird gewidmet

Rheingoldstraße

Bürgersteige Flur 3, Parz. 76/4 (teilweise/ Bild 5)

Bild 5

Der markierte Bereich wird gewidmet

Unter dem Dorf

Gemeindestraße Flur 3, Parz. 63/2, 63/3, 63/4

Gehwege

Gemeindewege

Dorfstraße - Im Grund Flur 3, Parz. 35 (teilweise/ Bild 6)

Rheingoldstraße - Im Grund Flur 3, Parz. 54 (teilweise/ Bild 7)

Hustweg Flur 3, Parz. 4/2 (teilweise/ Bild 8)

Bild 6

Der markierte Bereich wird gewidmet

Bild 7

Der markierte Bereich wird gewidmet

Bild 8

Der markierte Bereich wird gewidmet

Dorfplatz

Gemeindplätze Flur 3, Parz. 53/5

Rechtsbehelfsbelehrung:

Gegen diese Widmung kann innerhalb eines Monats nach Bekanntgabe Widerspruch erhoben werden. Der Widerspruch ist schriftlich oder zur Niederschrift (derzeit nicht in elektronischer Form) bei der Verbandsgemeindeverwaltung Rhein-Nahe, Koblenzer Straße 18, 55411 Bingen-Bingerbrück einzureichen. Bei schriftlicher Einlegung des Widerspruchs bleibt die Widerspruchsfrist nur gewahrt, wenn der Widerspruch noch vor Ablauf der Frist (ein Monat) bei der Verbandsgemeindeverwaltung Rhein-Nahe in Bingen-Bingerbrück eingegangen ist. Die Frist gilt auch dann als gewahrt, wenn der Widerspruch rechtzeitig beim Kreisrechtsausschuss der Kreisverwaltung Mainz-Bingen, Georg-Rückert-Straße 11, 55218 Ingelheim am Rhein, erhoben wird.

Breitscheid, den 05.10.2022
Marcel Rüdesheim, Ortsbürgermeister