Titel Logo
Rhein-Nahe aktuell
Ausgabe 49/2023
Amtliche und öffentliche Bekanntmachungen
Zurück zur vorigen Seite
Zurück zur ersten Seite der aktuellen Ausgabe

Bekanntmachung der Ortsgemeinde Weiler bei Bingen

Vollzug des Baugesetzbuches (BauGB); Zehnte Änderung des Bebauungsplans „Weiler Nordost“ der Ortsgemeinde Weiler bei Bingen im beschleunigten Verfahren gemäß § 13 a BauGB i. V. m. § 13 BauGB – Durchführung der Beteiligung der Öffentlichkeit gemäß § 3 Abs. 2 BauGB

a) Bekanntmachung des Änderungsbeschlusses

b) Bekanntmachung über die Beteiligung der Öffentlichkeit gemäß § 3 Abs. 2 BauGB

Zu a):Der Gemeinderat der Ortsgemeinde Weiler bei Bingen hat in seiner Sitzung am 28.11.2023 beschlossen, den Bebauungsplan „Weiler Nordost“ der Ortsgemeinde Weiler bei Bingen für das Grundstück Gemarkung Weiler, Flur 6, Flurstück 179/1, durch eine zehnte Änderung wie folgt zu ändern:

  • Gegenstand dieser Änderung sind die Festsetzung der Baugrenze und der Dachform sowie der maximal zulässigen Gebäudehöhe. Zudem werden Schallschutzmaßnahmen gemäß § 9 Abs. 1 Nr. 24 BauGB und Maßnahmen zum Schutz, zur Pflege und zur Entwicklung von Boden, Natur und Landschaft gemäß § 9 Abs. 1 Nr. 20 BauGB erstmalig festgesetzt.
  • Die übrigen textlichen und zeichnerischen Festsetzungen des Urplans sowie der 6. Änderung des Bebauungsplans „Weiler Nordost“, die nicht der vereinfachten Änderung unterliegen, werden im Rahmen der 10. Änderung des Bebauungsplans unverändert übernommen und haben weiterhin Bestand.

Dieser Aufstellungsbeschluss wird hiermit gemäß § 2 Abs. 1 BauGB öffentlich bekannt gemacht.

Zu b):Da der Bebauungsplan eine Wiedernutzbarmachung von Flächen bzw. eine Nachverdichtung und somit eine Maßnahme der Innenentwicklung planungsrechtlich sichern soll, wird er als Bebauungsplan der Innenentwicklung im Sinne des § 13 a BauGB im beschleunigten Verfahren aufgestellt.

Es wird hiermit darauf hingewiesen, dass der Bebauungsplanänderungsentwurf „Weiler Nordost – 10. Änderung“ bestehend aus Planzeichnung (Stand 29.11.2023), textliche Festsetzungen und Begründung (Stand 29.11.2023) mit Anlage 1 – Schallschutztechnisches Gutachten (Stand 11.10.2023) – und Anlage 2 Zustandsbeschreibung Artenschutz (Erstelldatum 06.10.2022) gemäß § 3 Abs. 2 BauGB während der Dauer 1 Monats und zwar vom

14.12.2023 bis 15.01.2024 (einschließlich)

bei der Verbandsgemeinde Rhein-Nahe, Koblenzer Straße 18, Zimmer 208, 55411 Bingen-Bingerbrück und bei der Ortsgemeinde Weiler bei Bingen, Rathaus, Stromberger Straße 43, 55413 Weiler bei Bingen, jeweils während den Dienststunden zu jedermanns Einsichtnahme öffentlich ausliegt.

Der Entwurf des vorgenannten Bebauungsplans kann auch auf der Homepage der Verbandsgemeinde Rhein-Nahe www.vgrn.de (Rathaus/Bauleitplanung/Bebauungsplan Weiler Nordost – 10. Änderung, Gemeinde Weiler bei Bingen) eingesehen werden. Auch erfolgt eine Veröffentlichung im Geoportal Rheinland-Pfalz.

Während der Auslegung können Stellungnahmen schriftlich oder zur Niederschrift abgegeben werden; wobei nicht fristgerecht abgegebene Stellungnahmen bei der Beschlussfassung über den Bauleitplan unberücksichtigt bleiben können.

Des Weiteren wird darauf hingewiesen, dass gemäß § 13 a Abs. 2, Satz 1 BauGB i. V. m. § 13 Abs. 3 BauGB von der Umweltprüfung nach § 2 Abs. 4 BauGB von dem Umweltbericht nach § 2 a BauGB, von der Angabe nach § 3 Abs. 2, Satz 2 BauGB, welche Arten umweltbezogener Informationen verfügbar sind, sowie von der zusammenfassenden Erklärung nach § 6 a Abs. 1 BauGB und § 10 a Abs. 1 BauGB abgesehen wird. § 4 c BauGB ist nicht anzuwenden.

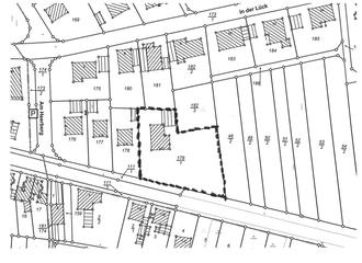
Der Geltungsbereich der 10. Änderung des Bebauungsplans „Weiler Nordost“ umfasst das Grundstück in der Gemarkung Weiler:

Flur 6, Flurstück 179/1

und ist auf beigefügtem unmaßstäblichen Lageplan dargestellt.

55413 Weiler bei Bingen, 29.11.2023
Ortsgemeinde Weiler bei Bingen
Adam Schmitt
Ortsbürgermeister