Titel Logo
Rhein-Nahe aktuell
Ausgabe 49/2025
Amtliche und öffentliche Bekanntmachungen
Zurück zur vorigen Seite
Zurück zur ersten Seite der aktuellen Ausgabe

Allgemeinverfügung nach § 35 S.2 VwVfG

Vollzug des Landesstraßengesetzes für Rheinland-Pfalz (LStrG)

Widmung von Gemeindestraßen

Die Verbandsgemeindeverwaltung Rhein-Nahe erlässt als zuständige Behörde im Namen und im Auftrag der Ortsgemeinde Niederheimbach folgende

Widmungsverfügung.

Die nachfolgenden Verkehrsflächen werden gemäß § 36 Abs. 1 in Verbindung mit § 14 des Landesstraßengesetzes (LStrG) für Rheinland-Pfalz in der Fassung vom 01.08.1977 (GVBI. S. 273), zuletzt geändert durch Gesetz vom 20.12.2024 (GVBI. S. 473), als Gemeinde- straßen, -wege und -plätze im Sinne des § 3 Ziffer 3 LStrG dem öffentlichen Verkehr gewidmet:

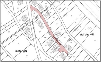
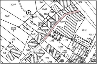
Anweg

Gemeindestraße

Flur 1, Parz. 1277 (teilweise/ Bild 1), 1288, 1309, 1315, 1319, 1325, 1329, 1333, 1336, 1337/7

Gemeindeweg

Flur 1, Parz. 1277 (teilweise/ Bild 2)

Bild 1

Der markierte Bereich wird gewidmet.

Bild 2

Der markierte Bereich wird gewidmet.

Dornröschenblick

Gemeindestraße

Flur 12, Parz. 440 (teilweise/ Bild 3), 455

Bild 3

Der markierte Bereich wird gewidmet.

Ernst-Heilmann-Straße

Gemeindestraße

Flur 11, Parz. 357, 362, 367/2, 368/4, 385, 383/1

Gemeindeplatz

(Parkplatz)

Flur 11, Parz. 369, 378/1, 381/2

Heimbachtal

Gemeindestraße

(Bürgersteig)

Flur 1, Parz. 1253, 1254/2, 1255/2, 1256/2, 1257/2, 1258/2, 1259/2, 1260/2, 1261/2, 1262/2, 1263/2, 1264/1, 1283/1, 1293/1, 1295/1, 1296/3, 1296/6, 1296/8, 1296/9, 1296/12, 1298/4, 1300/6, 1301/10, 1302/5, 1302/7, 1303/4, 1312/1, 1313/1, 1323/1, 1327/1, 1334/1, 1335/2, 1340/4, 1356/1, 1359/1, 1301/8, 1263/4, 1305/6, 1337/6

Flur 14, Parz. 48/1, 49/1, 50/1, 52/6, 95/5, 95/6, 95/8, 95/11, 95/14, 95/26, 95/35, 95/37, 95/38, 95/39, 302/2, 584/2, 584/4, 587/1, 587/3, 588/2, 589/1, 589/3, 590/1, 591/1, 592/2, 593/2, 596/11, 596/14, 597/8, 594/10, 95/18, 585/6, 590/3, 53/3

Gemeindestraße

Flur 1, Parz. 1305/4, 1296/2, 1306/1, 1360

Flur 14, Parz. 594/13, 610/18, 28/1, 93/3, 93/1, 96/5

Gemeindeplatz

Flur 1, Parz. 1300/7, 1304

Flur 14, Parz. 19/2 (teilweise/ Bild 4), 594/12, 596/17

Bild 4

Der markierte Bereich wird gewidmet.

Hinterbach

Gemeindestraße

Flur 1, Parz. 22/2 (teilweise/ Bild 5), 34/2, 12/2

Gemeindeweg

Flur 1, Parz. 10/2, 22/2 (teilweise/ Bild 6)

Bild 5

Der markierte Bereich wird gewidmet.

Bild 6

Der markierte Bereich wird gewidmet.

Im Füllkeller

Gemeindestraße

Flur 12, Parz. 120/5

Lennenbergweg

Gemeindestraße

Flur 13, Parz. 21 (teilweise/Bild 7)

Bild 7

Der markierte Bereich wird gewidmet.

Löwenheller Weg

Gemeindestraße

Flur 12, Parz. 66/2, 66/4, 66/5, 100/5 (teilweise/Bild 8)

Bild 8

Der markierte Bereich wird gewidmet.

Märchenhainstraße

Gemeindestraße

Flur 11, Parz. 24/2, 92/2

Flur 12, Parz. 86/17, 86/14, 339/4, 339/7, 310/2, 32/5, 32/8, 303/1, 310/1, 300/2, 300/1, 296, 294/1, 298/5, 167/2 (teilweise/Bild 9), 222/9 (teilweise/Bild 10), 297 (teilweise/Bild 11)

Gemeindeplatz (Parkplatz)

Flur 12, Parz. 311

Bild 9

Der markierte Bereich wird gewidmet.

Bild 10

Der markierte Bereich wird gewidmet.

Bild 11

Der markierte Bereich wird gewidmet.

Rheinstraße

Gemeindestraße

(Bürgersteig)

Flur 1, Parz. 1157/80, 1157/81, 1157/82, 1157/83, 1157/84, 1157/90, 1157/93, 1223/1, 1223/2, 1222, 178/2

Gemeindeplatz (Parkplatz)

Flur 1, Parz. 1221/6

Flur 5, Parz. 1362/4

Soonecker Straße

Gemeindestraße

Flur 12, Parz. 293/2, 294/3, 440

Waldweg

Gemeindestraße

Flur 12, Parz. 322, 353/3

Belehrung über den Rechtsbehelf:

Der Widerspruch ist innerhalb eines Monats, nachdem der Verwaltungsakt dem Beschwerten bekanntgegeben worden ist, schriftlich, in elektronischer Form nach § 3a Absatz 2 des Verwaltungsverfahrensgesetzes, schriftformersetzend nach § 3a Absatz 3 des Verwaltungsverfahrensgesetzes und § 9a Absatz 5 des Onlinezugangsgesetzes oder zur Niederschrift bei der Behörde zu erheben, die den Verwaltungsakt erlassen hat (Verbandsgemeindeverwaltung Rhein-Nahe, Koblenzer Straße 18, 55411 Bingen am Rhein).

Die Frist wird auch durch Einlegung bei der Behörde, die den Widerspruchsbescheid zu erlassen hat, gewahrt (Kreisverwaltung Mainz-Bingen -Kreisrechtsausschuss-, Georg-Rückert-Straße 11, 55218 Ingelheim am Rhein).

Die Widmungen treten am Tage nach der öffentlichen Bekanntmachung in Kraft.

Der Verwaltungsakt im Original, sowie Planausschnitte der aufgeführten Flurstücke können zu jedermanns Einsicht zu folgenden Öffnungszeiten bei der Verbandsgemeindeverwaltung Rhein-Nahe, Zimmer 301, Koblenzer Straße 18, 55411 Bingen eingesehen werden:

Montag

08:00-12:00 Uhr

Dienstag

08:00-12:00 Uhr

Mittwoch

08:00-12:00 und 14:00-18:00 Uhr

Donnerstag

08:00-12:00 Uhr

Freitag

07:30-12:00 Uhr

Um vorherige Terminvereinbarung mit Herrn Martin Olbricht, 06721-304-271 oder martin.olbricht@vgrn.de, wird gebeten.

Koblenzer Straße 18
55411 Bingen
Verbandsgemeindeverwaltung Rhein-Nahe, den 25.11.2025
Benedikt Seemann
Bürgermeister der Verbandsgemeinde