Titel Logo
Rhein-Nahe aktuell
Ausgabe 50/2022
Amtliche und öffentliche Bekanntmachungen
Zurück zur vorigen Seite
Zurück zur ersten Seite der aktuellen Ausgabe

Widmung von Straßen

Gemäß §36 des Landesstraßengesetzes für Rheinland-Pfalz (LStrG) vom 01.08.1977 (GVBI. 1977 S. 273), in der derzeit geltenden Fassung, werden die nachstehenden Gemeinde -straßen, -wege und - plätze aufgrund des Beschlusses des Ortsgemeinderates Niederheimbach vom 26.09.2022, wie folgt dem öffentlichen Verkehr gewidmet:

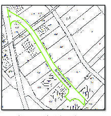
Anweg

Gemeindestraße

Flur 1, Parz. 1277 (teilweise/ Bild 1), 1288, 1309, 1315, 1319, 1325, 1329, 1333, 1336, 1337/7

Bild 1

Der markierte Bereich wird gewidmet

Gemeindegehwege

Flur 1, Parz. 1277 (teilweise/ Bild 2)

Bild 2

Der markierte Bereich wird gewidmet

Dornröschenblick

Gemeindestraße

Flur 12, Parz. 440 (teilweis/ Bild 3), 455

Bild 3

Der markierte Bereich wird gewidmet

Ernst-Heilmann-Straße

Gemeindestraße

Flur 11, Parz. 357, 362, 367/2, 368/4

Gemeindeparkplatz

Flur 11, Parz. 369, 378/1, 381/2

Heimbachtal

Gemeindegehweg/Bürgersteig

Flur 1, Parz. 1253, 1254/2, 1255/2, 1256/2, 1257/2, 1258/2, 1259/2, 1260/2, 1261/2, 1262/2, 1263/2, 1264/1, 1283/1, 1293/1, 1295/1, 1296/2, 1296/3, 1296/6, 1296/8, 1296/9, 1296/12, 1298/4, 1300/6, 1301/10, 1302/5, 1302/7, 1303/4, 1312/1, 1313/1, 1323/1, 1327/1, 1334/1, 1335/2, 1340/4, 1356/1, 1359/1

Flur 14, Parz. 48/1, 49/1, 50/1, 52/6, 95/5, 95/6, 95/8, 95/11, 95/14, 95/26, 95/35, 95/37, 95/38, 95/39, 96/2, 302/2, 584/2, 584/4, 587/1, 587/3, 588/2, 589/1, 589/3, 590/1, 591/1, 592/2, 593/2, 596/11, 596/14, 597/8

Gemeindestraße

Flur 14, Parz. 594/13

Gemeindeparkplatz

Flur 14, Parz. 19/2 (teilweise/ Bild 5), 594/12, 596/17

Bild 5

Der markierte Bereich wird gewidmet

Hinterbach

Gemeindestraße

Flur 1, Parz. 22/2 (teilweise/ Bild 6), 34/2

Bild 6

Der markierte Bereich wird gewidmet

Gemeindegehwege

Flur 1, Parz. 10/2, 12/2, 22/2 (teilweise/ Bild 7), 1305/6

Bild 6

Der markierte Bereich wird gewidmet

Park&Ride-Anlage

Gemeindeparkplatz

Flur 5, Parz. 1362/4, 1221/6

Rheinstraße

Gemeindegehweg/Bürgersteig

Flur 1, Parz. 1157/50, 1157/51, 1157/56, 1157/57, 1157/58, 1157/59, 1157/60, 1157/61, 1157/66, 1157/67, 1157/68, 1157/69, 1157/70, 1157/71, 1157/72, 1157/73, 1157/74, 1157/75, 1157/76, 1157/77, 1157/80, 1157/81, 1157/82, 1157/83, 1157/84, 1157/90,

Rechtsbehelfsbelehrung:

Gegen diese Widmung kann innerhalb eines Monats nach Bekanntgabe Widerspruch erhoben werden. Der Widerspruch ist schriftlich oder zur Niederschrift (derzeit nicht in elektronischer Form) bei der Verbandsgemeindeverwaltung Rhein-Nahe, Koblenzer Straße 18, 55411 Bingen-Bingerbrück einzureichen. Bei schriftlicher Einlegung des Widerspruchs bleibt die Widerspruchsfrist nur gewahrt, wenn der Widerspruch noch vor Ablauf der Frist (ein Monat) bei der Verbandsgemeindeverwaltung Rhein-Nahe in Bingen-Bingerbrück eingegangen ist. Die Frist gilt auch dann als gewahrt, wenn der Widerspruch rechtzeitig beim Kreisrechtsausschuss der Kreisverwaltung Mainz-Bingen, GeorgRückert-Straße 11, 55218 Ingelheim am Rhein, erhoben wird.

Niederheimbach, den 05.12.2022
Richard-Paul Mézes,
Ortsbürgermeister