Titel Logo
Rhein-Nahe aktuell
Ausgabe 50/2025
Amtliche und öffentliche Bekanntmachungen
Zurück zur vorigen Seite
Zurück zur ersten Seite der aktuellen Ausgabe

Öffentliche Bekanntmachung einer Allgemeinverfügung nach § 35 S.2 VwVfG

Der markierte Bereich wird gewidmet.

Der markierte Bereich wird gewidmet.

Der markierte Bereich wird gewidmet.

Der markierte Bereich wird gewidmet.

Der markierte Bereich wird nicht gewidmet.

Der markierte Bereich wird gewidmet.

Der markierte Bereich wird nicht gewidmet.

Der markierte Bereich wird gewidmet.

Der markierte Bereich wird gewidmet.

Allgemeinverfügung nach § 35 S.2 VwVfG

Vollzug des Landesstraßengesetzes für Rheinland-Pfalz (LStrG);

Widmung von Gemeindestraßen

Die Verbandsgemeindeverwaltung Rhein-Nahe erlässt als zuständige Behörde im Namen und im Auftrag der Ortsgemeinde Trechtingshausen folgende

Widmungsverfügung.

Die nachfolgenden Verkehrsflächen werden gemäß § 36 Abs. 1 in Verbindung mit § 14 des Landesstraßengesetzes (LStrG) für Rheinland-Pfalz in der Fassung vom 01.08.1977 (GVBI. S. 273), zuletzt geändert durch Gesetz vom 20.12.2024 (GVBI. S. 473), als Gemeinde- straßen, -wege und –plätze im Sinne des § 3 Ziffer 3 LStrG dem öffentlichen Verkehr gewidmet:

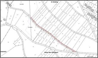
Am Morgenbach

Gemeindestraße Flur 4, Parz. 267/5 (teilweise/ Bild 1)

Bild 1

Am Pfaffenfels

Gemeindestraße Flur 8, Parz. 13 (teilweise/ Bild 2), 12/1, 11/1, 10/1, 9/1, 8/1, 7/1, 6/1, 5/1

Bild 2

Am Turm

Gemeindeweg Flur 3, Parz. 133/3, 142/5, 125/8, 149/4

Gemeindeplatz Flur 3, Parz. 152/1

An der Ringmauer

Gemeindestraße Flur 10, Parz. 3

Bahnhofstraße

Gemeindestraße Flur 3, Parz. 309/3, 349/3, 349/4, 349/11

Burgweg

Gemeindestraße Flur 4, Parz. 89/9, 197/11

Flur 10, Parz. 57/2

Glockengasse

Gemeindestraße Flur 3, Parz. 259/2, 276/5, 1108/259, 1109/259

Im Finkenschlag

Gemeindestraße Flur 10, Parz. 65/8

Im Vogelsang

Gemeindestraße Flur 9, Parz. 142

Flur 10, Parz. 98

Im Winkel

Gemeindestraße Flur 3, Parz. 179/2

Kirchgasse

Gemeindestraße Flur 3, Parz. 259/3

Mainzer Straße

Gemeindeplatz

(Parkplatz) Flur 10, Parz. 27, 43/1

Gemeindestraße Flur 3, Parz. 40/28, 322/8 (teilweise/ Bild 3)

(Bürgersteig)

Bild 3

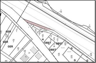
Neuweg

Gemeindestraße Flur 10, Parz. 12 (teilweise/ Bild 4)

Gemeindeweg Flur 10, Parz. 12 (teilweise/ Bild 5)

Bild 4

Bild 5

Rathausstraße

Gemeindestraße Flur 3, Parz. 210/2, 251/2, 251/4

Gemeindeplatz

(Parkplatz) Flur 3, Parz. 214

Rheinblickstraße

Gemeindestraße Flur 8, Parz. 242

Flur 9, Parz. 89, 371

Gemeindeplatz

(Parkplatz) Flur 9, Parz. 370

Rheinstraße

Gemeindestraße Flur 3, Parz. 107/1, 126/3, 126/4, 198/1, 1177/164, 142/3, 1180/153, 210/3

Gemeindeweg Flur 3, Parz. 98/3

Gemeindeplatz

(Parkplatz) Flur 3, 102/3 (teilweise/Bild 6)

Bild 6

Ringgasse

Gemeindestraße Flur 3, Parz. 203/3

Gemeindeplatz Flur 3, Parz. 273/2

Römerstraße

Gemeindestraße Flur 3, Parz. 32/1, 35/2, 35/3, 37/1, 40/16, 61/4, 61/5, 61/6, 61/8, 61/9, 91/10, 61/11, 61/15, 61/17, 61/18, 94/2, 125/9, 126/3, 232/4, 245/1, 326/6, 953/330, 61/7, 61/13, 61/14, 210/5, 326/5, 237/3, 61/19 (teilweise/Bild 7)

Gemeindeplatz

(Parkplatz) Flur 3, Parz. 14/2, 15

Bild 7

Rosengasse

Gemeindestraße Flur 3, Parz. 287/1

Sonnenstraße

Gemeindestraße Flur 9, Parz. 66

Gemeindeplatz

(Parkplatz) Flur 9, Parz. 73

Salzgasse

Gemeindestraße Flur 3, Parz. 300/19, 300/20, 251/3

Gemeindeplatz

(Parkplatz) Flur 3, Parz. 234/5, 235/3

Sooneckstraße

Gemeindestraße Flur 9, Parz. 141/1, 176 (teilweise/ Bild 8)

Bild 8

Waldweg

Gemeindestraße Flur 10, Parz. 26 (teilweise/ Bild 9)

Gemeindeweg Flur 10, Parz. 24

Bild 9

Weinstraße

Gemeindestraße Flur 8, Parz. 215

Flur 9, Parz. 350

Gemeindeweg Flur 9, Parz. 351

Gemeindeplatz

(Parkplatz) Flur 9, Parz. 328

Belehrung über den Rechtsbehelf:

Der Widerspruch ist innerhalb eines Monats, nachdem der Verwaltungsakt dem Beschwerten bekanntgegeben worden ist, schriftlich, in elektronischer Form nach § 3a Absatz 2 des Verwaltungsverfahrensgesetzes, schriftformersetzend nach § 3a Absatz 3 des Verwaltungsverfahrensgesetzes und § 9a Absatz 5 des Onlinezugangsgesetzes oder zur Niederschrift bei der Behörde zu erheben, die den Verwaltungsakt erlassen hat (Verbandsgemeindeverwaltung Rhein-Nahe, Koblenzer Straße 18, 55411 Bingen am Rhein).

Die Frist wird auch durch Einlegung bei der Behörde, die den Widerspruchsbescheid zu erlassen hat, gewahrt (Kreisverwaltung Mainz-Bingen -Kreisrechtsausschuss-, Georg-Rückert-Straße 11, 55218 Ingelheim am Rhein).

Die Widmungen treten am Tage nach der öffentlichen Bekanntmachung in Kraft.

Der Verwaltungsakt im Original, sowie Planausschnitte der aufgeführten Flurstücke können zu jedermanns Einsicht zu folgenden Öffnungszeiten bei der Verbandsgemeindeverwaltung Rhein-Nahe, Zimmer 301, Koblenzer Straße 18, 55411 Bingen eingesehen werden:

Montag

08:00-12:00 Uhr

Dienstag

08:00-12:00 Uhr

Mittwoch

08:00-12:00 und 14:00-18:00 Uhr

Donnerstag

08:00-12:00 Uhr

Freitag

07:30-12:00 Uhr

Um vorherige Terminvereinbarung mit Herrn Martin Olbricht, 06721-304-271 oder martin.olbricht@vgrn.de, wird gebeten.

Koblenzer Straße 18

55411 Bingen

Verbandsgemeindeverwaltung Rhein-Nahe, den 25.11.2025
Benedikt Seemann
Bürgermeister der Verbandsgemeinde