Titel Logo
Rhein-Nahe aktuell
Ausgabe 51/2022
Amtliche und öffentliche Bekanntmachungen
Zurück zur vorigen Seite
Zurück zur ersten Seite der aktuellen Ausgabe

Bekanntmachung der Ortsgemeinde Niederheimbach

Vollzug des Baugesetzbuches (BauGB);

Aufstellung des Bebauungsplans „Auf dem Hillebrand“ in der Ortsgemeinde Niederheimbach gemäß § 13 b BauGB - Bekanntmachung des Aufstellungsbeschlusses

Der Gemeinderat der Ortsgemeinde Niederheimbach hat in seiner Sitzung am 12.12.2022 zur Ausweisung eines neuen Wohnbaugebietes die Aufstellung des Bebauungsplans „Auf dem Hillebrand“ in der Ortsgemeinde Niederheimbach beschlossen.

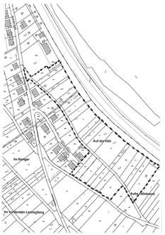
Der Geltungsbereich des Bebauungsplans „Auf dem Hillebrand“ ergibt sich aus folgendem unmaßstäblichen Kartenausschnitt (Abgrenzungsplan):

Der Geltungsbereich des Bebauungsplans „Auf dem Hillebrand“ umfasst nachfolgend aufgeführte Grundstücke der Gemarkung Niederheimbach:

Flur 12, Flurstücke 207, 208, 209, 210, 211, 212, 213, 214, 215, 216/1, 445/1, 473, 474, Flur 13, Flurstücke 2, 3, 4, 5, 6, 7, 8, 9, 10, 11 (tlw.), 12, 13, 151, 152, 153, 154, 155, 156, 157, 158, 159/1, 159/2.

Dieser Aufstellungsbeschluss wird hiermit gemäß § 2 Abs. 1 BauGB öffentlich bekannt gemacht.

55413 Niederheimbach, 13.12.2022
Ortsgemeinde Niederheimbach
Richard-Paul Mézes
Ortsbürgermeister