Titel Logo
Rhein-Nahe aktuell
Ausgabe 51/2022
Amtliche und öffentliche Bekanntmachungen
Zurück zur vorigen Seite
Zurück zur ersten Seite der aktuellen Ausgabe

Bekanntmachung der Ortsgemeinde Waldalgesheim

Vollzug des Baugesetzbuches (BauGB);

Aufstellung des Bebauungsplans „Waldstraße IV“ in der Ortsgemeinde Waldalgesheim gemäß § 13 b BauGB - Bekanntmachung des Aufstellungs - / Erweiterungsbeschlusses

Der Gemeinderat der Ortsgemeinde Waldalgesheim hat in seiner Sitzung am 19.11.2019 und aus Gründen der Rechtssicherheit nochmals am 21.09.2021 zur Ausweisung eines neuen Wohnbaugebietes die Aufstellung des Bebauungsplans „Waldstraße IV“ in der Ortsgemeinde Waldalgesheim im beschleunigten Verfahren gemäß § 13 b BauGB beschlossen.

Die jeweiligen Bekanntmachungen dieser Beschlüsse erfolgten im Mitteilungsblatt der Verbandsgemeinde Rhein-Nahe am 27.11.2019 bzw. 06.10.2021.

In der Sitzung des Gemeinderates der Ortsgemeinde Waldalgesheim am 13.12.2022 hat der Gemeinderat die Erweiterung des vorgenannten Bebauungsplanes um die Grundstücke Gemarkung Waldalgesheim, Flur 7, Flurstücke 94, 95, 96, 114/2 (tlw.), 115 (tlw.) und 121 (tlw.) beschlossen.

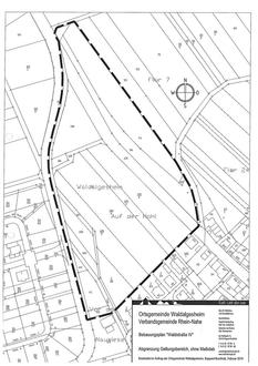
Der neue Geltungsbereich des Bebauungsplans „Waldstraße IV“ ergibt sich aus folgendem, unmaßstäblichen Kartenausschnitt (Abgrenzungsplan) und umfasst nunmehr nachfolgend aufgeführte Grundstücke der Gemarkung Waldalgesheim:

Flur 7, Flurstücke 94, 95, 96, 100, 101, 102/2, 103/3, 104/2, 105/2, 107, 108, 109, 110, 111, 112, 114/2 (tlw.), 115 (tlw.), 118, 121 (tlw.) und Flur 24, Flurstück 7/19, 7/20, und 7/30.

Dieser Aufstellungs- / Erweiterungsbeschluss wird hiermit gemäß § 2 Abs. 1 BauGB öffentlich bekannt gemacht.

55425 Waldalgesheim, 14.12.2022
Ortsgemeinde Waldalgesheim
Gerhard Huber, 1. Beigeordneter