Titel Logo
Rhein-Nahe aktuell
Ausgabe 51/2025
Amtliche und öffentliche Bekanntmachungen
Zurück zur vorigen Seite
Zurück zur ersten Seite der aktuellen Ausgabe

Öffentliche Bekanntmachung einer Allgemeinverfügung nach § 35 S.2 VwVfG

Der markierte Bereich wird gewidmet.

Der markierte Bereich wird gewidmet.

Der markierte Bereich wird gewidmet.

Der markierte Bereich wird nicht gewidmet.

Der markierte Bereich wird gewidmet.

Der markierte Bereich wird gewidmet.

Der markierte Bereich wird gewidmet.

Der markierte Bereich wird gewidmet.

Der markierte Bereich wird gewidmet.

Der markierte Bereich wird gewidmet.

Der markierte Bereich wird gewidmet.

Der markierte Bereich wird gewidmet.

Der markierte Bereich wird gewidmet.

Der markierte Bereich wird gewidmet.

Allgemeinverfügung nach § 35 S.2 VwVfG

Vollzug des Landesstraßengesetzes für Rheinland-Pfalz (LStrG);

Widmung von Gemeindestraßen

Die Verbandsgemeindeverwaltung Rhein-Nahe erlässt als zuständige Behörde im Namen und im Auftrag der Ortsgemeinde Oberheimbach folgende

Widmungsverfügung.

Die nachfolgenden Verkehrsflächen werden gemäß § 36 Abs. 1 in Verbindung mit § 14 des Landesstraßengesetzes (LStrG) für Rheinland-Pfalz in der Fassung vom 01.08.1977 (GVBI. S. 273), zuletzt geändert durch Gesetz vom 20.12.2024 (GVBI. S. 473), als Gemeinde- straßen, -wege und –plätze im Sinne des § 3 Ziffer 3 LStrG dem öffentlichen Verkehr gewidmet:

Am Sonnenhang

Gemeindestraße Flur 12, Parz. 435/1, 437/1, 438/4,

438/1 (teilweise/Bild 1), 438/3 (teilweise/Bild 2)

Gemeindeweg Flur 12, Parz. 438/3 (teilweise/Bild 3)

Flur 21, Parz. 302 (teilweise/Bild 3)

Bild 1

Bild 2

Bild 3

Gambachstraße

Gemeindestraße Flur 21, Parz. 102

Gemeindeweg Flur 21, Parz. 229

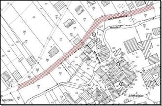
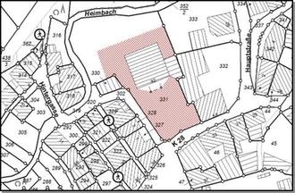
Hauptstraße

Gemeindestraße Flur 21, Parz. 167 (teilwesie/Bild 4), 352/2 (teilweise/ Bild 5), 29, 281 (teilweise/Bild 6)

Gemeindeplatz Flur 21, Parz. 167 (teilweise/Bild 7), 42/3, 42/4 (teilweise/Bild 8), 48/1, 331 (teilweise/Bild 9)

Gemeindeweg Flur 21, Parz. 236, 273, 276, 301, 325, 291, 265, 270

Gemeindestraße

(Bürgersteig) Flur 21, Parz. 360

Bild 4

Bild 5

Bild 6

Bild 7

Bild 8

Bild 9

Hintergasse

Gemeindestraße Flur 21, Parz. 302 (teilweise/ Bild 10),

Parz. 309 (teilweise/ Bild 11)

Bild 10

Bild 11

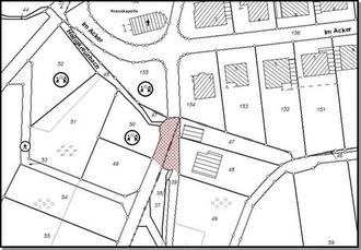
Im Acker

Gemeindestraße Flur 18, Parz. 107 (teilweise/ Bild 12)

Flur 19, Parz. 39 (teilweise/ Bild 12)

Flur 21, Parz. 156

Gemeindeweg Flur 21, Parz. 157

Bild 12

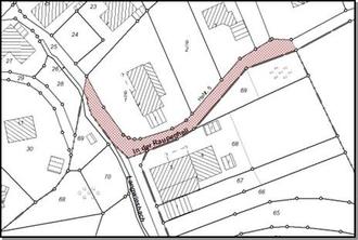
In der Raupenhell

Gemeindestraße Flur 21, Parz. 1 (teilweise/ Bild 13), 25

Bild 13

Kirchstraße

Gemeindestraße Flur 21, Parz. 70, 73 (teilweise/ Bild 14), 74, 76

Bild 14

Kohlgasse

Gemeindestraße Flur 12, Parz. 440, 441/1

Flur 21, Parz. 186/1

Schweizertal

Gemeindestraße Flur 21, Parz. 337

Belehrung über den Rechtsbehelf:

Der Widerspruch ist innerhalb eines Monats, nachdem der Verwaltungsakt dem Beschwerten bekanntgegeben worden ist, schriftlich, in elektronischer Form nach § 3a Absatz 2 des Verwaltungsverfahrensgesetzes, schriftformersetzend nach § 3a Absatz 3 des Verwaltungsverfahrensgesetzes und § 9a Absatz 5 des Onlinezugangsgesetzes oder zur Niederschrift bei der Behörde zu erheben, die den Verwaltungsakt erlassen hat (Verbandsgemeindeverwaltung Rhein-Nahe, Koblenzer Straße 18, 55411 Bingen am Rhein).

Die Frist wird auch durch Einlegung bei der Behörde, die den Widerspruchsbescheid zu erlassen hat, gewahrt (Kreisverwaltung Mainz-Bingen -Kreisrechtsausschuss-, Georg-Rückert-Straße 11, 55218 Ingelheim am Rhein).

Die Widmungen treten am Tage nach der öffentlichen Bekanntmachung in Kraft.

Der Verwaltungsakt im Original, sowie Planausschnitte der aufgeführten Flurstücke können zu jedermanns Einsicht zu folgenden Öffnungszeiten bei der Verbandsgemeindeverwaltung Rhein-Nahe, Zimmer 301, Koblenzer Straße 18, 55411 Bingen eingesehen werden:

Montag

08:00-12:00 Uhr

Dienstag

08:00-12:00 Uhr

Mittwoch

08:00-12:00 und 14:00-18:00 Uhr

Donnerstag

08:00-12:00 Uhr

Freitag

07:30-12:00 Uhr

Um vorherige Terminvereinbarung mit Herrn Martin Olbricht, 06721-304-271 oder martin.olbricht@vgrn.de, wird gebeten.

Koblenzer Straße 18

55411 Bingen

Verbandsgemeindeverwaltung Rhein-Nahe, den 25.11.2025
Benedikt Seemann
Bürgermeister der Verbandsgemeinde