Titel Logo
Nachrichtenblatt Wöllstein aktuell
Ausgabe 32/2025
Wöllstein
Zurück zur vorigen Seite
Zurück zur ersten Seite der aktuellen Ausgabe

Vorkaufsrechtsatzung

der Ortsgemeinde Wöllstein vom 21.07.2025

Aufgrund des § 25 des Baugesetzbuches (BauGB) in Verbindung mit § 24 der Gemeindeordnung Rheinland-Pfalz (GemO) hat der Ortsgemeinderat der Ortsgemeinde Wöllstein in seiner Sitzung am 25.06.2025 folgende Satzung beschlossen:

§ 1 Räumlicher Geltungsbereich

(1) Das Vorkaufsrecht gilt für folgende Flurstücke in der Flur 2 der Gemarkung Wöllstein:

  • Flurstück 100
  • Flurstück 101

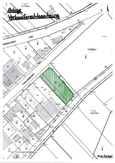
(2) Die genaue Abgrenzung des Geltungsbereichs ist dem als Anlage beigefügten Lageplan zu entnehmen.

§ 2 Zweck der Satzung

(1) Die Ortsgemeinde Wöllstein beabsichtigt die Entwicklung eines Neubaugebietes in unmittelbarer Nähe des Friedhofs. Zur Erschließung dieses Gebietes wird eine Verkehrsfläche benötigt. Daher sollen die Flurstücke 100 und 101 der Flur 2 in der Germakrung Wöllstein als zukünftige Zuwegng zum gebplanten Neubaugebiet dienen.

(2) Zur Sicherung dieser städtebaulichen Entwicklung wird das gemeindliche Vorkaufsrecht für bestimmte Grundstücke in der Gemarkung Wöllstein gemäß § 25 BauGB begründet.

§ 3 Ausübung des Vorkaufsrechts

(1) Die Gemeinde kann ihr Vorkaufsrecht ausüben, sobald eines der in § 2 genannten Flurstücke verkauft wird.

(2) Die Entscheidung über die Ausübung des Vorkaufsrechts trifft der Ortsgemeinderat.

(3) Das Vorkaufsrecht kann nur innerhalb der gesetzlichen Fristen gemäß § 28 BauGB ausgeübt werden.

§ 4 Inkrafttreten und Außerkrafttreten bisheriger Regelungen

(1) Diese Satzung tritt am Tag nach ihrer Bekanntmachung in Kraft.

(2) Die bisherige Vorkaufsrechtssatzung der Ortsgemeinde Wöllstein vom 04.09.2008 wird mit Inkrafttreten dieser Satzung außer Kraft gesetzt.

Wöllstein, den 21.07.2025
Johannes Brüchert
Ortsbürgermeister

Hinweis nach § 24 Abs. 6 Gemeindeordnung

Satzungen, die unter Verletzung von Verfahrens- oder Formvorschriften dieses Gesetzes oder auf Grund dieses Gesetzes zustande gekommen sind, gelten ein Jahr nach der Bekanntmachung als von Anfang an gültig zustande gekommen. Dies gilt nicht, wenn

1.

die Bestimmungen über die Öffentlichkeit der Sitzung, die Genehmigung, die Ausfertigung oder die Bekanntmachung der Satzung verletzt worden sind,oder

2.

vor Ablauf der in Satz 1 genannten Frist die Aufsichtsbehörde den Beschluss beanstandet oder jemand die Verletzung der Verfahrens- oder Formvorschriften gegenüber der Gemeindeverwaltung unter Bezeichnung des Sachverhalts, der die Verletzung begründen soll, schriftlich geltend gemacht hat. Hat jemand eine Verletzung nach Satz 2 Nr. 2 geltend gemacht, so kann auch nach Ablauf der in Satz 1 genannten Frist jedermann diese Verletzung geltend machen. Bei der Bekanntmachung der Satzung ist auf die Voraussetzungen für die Geltendmachung der Verletzung von Verfahrens- oder Formvorschriften und die Rechtsfolgen hinzuweisen.