Titel Logo
Amtsblatt VG Wonnegau
Ausgabe 29/2022
Amtlicher Teil - Amtliche Bekanntmachungen und Mitteilungen
Zurück zur vorigen Seite
Zurück zur ersten Seite der aktuellen Ausgabe

Bebauungsplan „Nr. 38 - Gewerbegebiet“

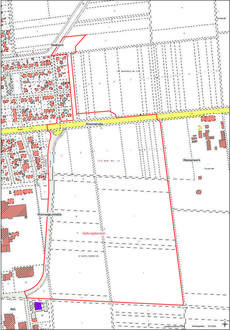
Planauszug

Frühzeitige Beteiligung der Öffentlichkeit gemäß § 3 Abs. 1 BauGB und Unterrichtungsverfahren der Behörden sowie Träger öffentlicher Belange gemäß § 4 Abs. 1 BauGB

Die Stadt Osthofen plant die Ausweisung des Gewerbegebietes „Nr. 38 - Gewerbegebiet“ am östlichen Stadtrand südlich der Rheinstraße zwischen Wonnegaustraße und Wasserwerk. Es ist vorgesehen, Bauplanungsrecht für ein so genanntes eingeschränktes Gewerbegebiet zu schaffen.

Für die konkrete Planung soll die betroffene Öffentlichkeit frühzeitig beteiligt werden. Die Durchführung der frühzeitigen Öffentlichkeitsbeteiligung und vorgezogene Beteiligung der Behörden und Träger öffentlicher Belange (Unterrichtungsverfahren) findet in der Zeit

vom 01.08.2022 bis einschließlich 15.09.2022 statt.

Der Geltungsbereich ist im anliegenden Plan gekennzeichnet und umfassen die Grundstücke Flur 30, Nrn. 30 und 91 (alle gesamt) sowie 89, 92, 93, 94, 95, 96 und 97 (alle teilweise) und Flur 31, Nrn. 31, 32/1, 33/1, 34/3, 35/3, 36/3, 37/3, 40/1, 40/2, 40/4, 40/5, 41/4, 42, 43, 44/1, 44/1, 44/2, 45, 46, 47, 98/3, 105, 109/1, 111, 112, 113, 114, 115, 116, 118, 300 und 344 (alle gesamt) und 158, 159/1, 299, 339/4 und 443 (alle teilweise).

Die Planunterlagen mit ihren dazugehörigen Teilen, sowie die einschlägigen Rechtsvorschriften und verwendeten DIN-Normen können sowohl bei der Stadtverwaltung Osthofen, Friedrich-Ebert-Straße 31-33, 67574 Osthofen während der Sprechstunden des Stadtbürgermeisters (montags, dienstags, donnerstags und freitags von 8.00 Uhr bis 12.00 Uhr) als auch bei der Verbandsgemeindeverwaltung Wonnegau, Am Schneller 3 in 67574 Osthofen während der allgemeinen Öffnungszeiten (montags bis freitags von 8.00 Uhr bis 12.00 Uhr sowie donnerstags zusätzlich von 14.00 Uhr bis 18.00 Uhr) in Zimmer 3.5 (Dachgeschoss) kostenfrei zu jedermanns Einsicht eingesehen werden. Es können Anregungen vorgebracht werden. Darüber hinaus wird Gelegenheit zur Erörterung gegeben. Der Inhalt dieser Bekanntmachung sowie die vollständigen Planunterlagen sind auch auf www.vg-wonnegau.de einsehbar.

Osthofen, den 15.07.2022
Gez. Goller (DS)
Goller, Stadtbürgermeister

(Der Inhalt dieser Bekanntmachung ist auch auf www.vg-wonnegau.de einsehbar.)