Titel Logo
Amtsblatt VG Wonnegau
Ausgabe 32/2022
Amtlicher Teil - Amtliche Bekanntmachungen und Mitteilungen
Zurück zur vorigen Seite
Zurück zur ersten Seite der aktuellen Ausgabe

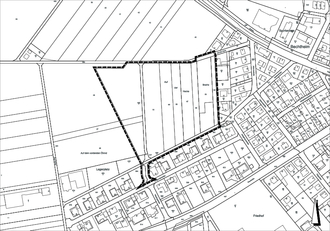
Bebauungsplan „Wohnbaugebiet Auf der Heck“;

Frühzeitige Beteiligung der Öffentlichkeit gemäß § 3 Abs. 1 BauGB und Unterrichtungsverfahren der Behörden sowie Träger öffentlicher Belange gemäß § 4 Abs. 1 BauGB

Die Ortsgemeinde Bechtheim plant die Ausweisung des Baugebietes „Wohnbaugebiet Auf der Heck“ am westlichen Ortsrand nördlich der Burgunderstraße und östlich der Altkirchstraße. Es ist vorgesehen, Bauplanungsrecht für ein so genanntes Allgemeines Wohnbaugebiet zu schaffen.

Für die konkrete Planung soll die betroffene Öffentlichkeit frühzeitig beteiligt werden. Die Durchführung der frühzeitigen Öffentlichkeitsbeteiligung und vorgezogene Beteiligung der Behörden und Träger öffentlicher Belange (Unterrichtungsverfahren) findet in der Zeit

vom 22.08.2022 bis einschließlich 29.09.2022 statt.

Der Geltungsbereich ist im anliegenden Plan gekennzeichnet und umfassen die Grundstücke Gemarkung Bechtheim, Flur 11 Nrn. 26 tlw., 27 tlw., 28 tlw., 64 - 70, 492/1, 493 tlw., 576/1 tlw., 577, 578/2 tlw., 584 tlw. 585.

Die Planunterlagen mit ihren dazugehörigen Teilen, sowie die einschlägigen Rechtsvorschriften und verwendeten DIN-Normen können sowohl bei der Ortsverwaltung Bechtheim, Heßlocher Straße 17, 67595 Bechtheim während der Öffnungszeiten der Ortsverwaltung (montags von 11.00 Uhr bis 12.00 Uhr sowie donnerstags von 16.00 Uhr bis 18.00 Uhr) als auch bei der Verbandsgemeindeverwaltung Wonnegau, Am Schneller 3 in 67574 Osthofen während der allgemeinen Öffnungszeiten (montags bis freitags von 8.00 Uhr bis 12.00 Uhr sowie donnerstags zusätzlich von 14.00 Uhr bis 18.00 Uhr) in Zimmer 3.5 (Dachgeschoss) kostenfrei zu jedermanns Einsicht eingesehen werden. Es können Anregungen vorgebracht werden. Darüber hinaus wird Gelegenheit zur Erörterung gegeben. Der Inhalt dieser Bekanntmachung sowie die vollständigen Planunterlagen sind auch auf www.vg-wonnegau.de einsehbar.

Bechtheim, den 02.08.2022
Gez. Ebeling (DS)
Ebeling, Beigeordneter
Anlage: Planauszug