Titel Logo
Winnweiler Rundschau
Ausgabe 21/2023
Amtlicher Teil
Zurück zur vorigen Seite
Zurück zur ersten Seite der aktuellen Ausgabe

Öffentliche Bekanntmachung der Ortsgemeinde Wartenberg-Rohrbach

Vollzug des Baugesetzbuches (BauGB);

hier:

Aufstellung des Bebauungsplanes „Solarpark Heuberg“ nach § 2 Abs. 1 BauGB i.V.m. § 30 BauGB

-

Bekanntmachung des Aufstellungs- / Verfahrenseinleitungsbeschlusses gemäß § 2 Abs. 1 BauGB

Die Gemeindevertretung der Ortsgemeinde Wartenberg-Rohrbach hat am 27.04.2023 in öffentlicher Sitzung für den im Entwurf dargestellten Geltungsbereich nach § 2 Abs. 1 BauGB i.V.m. § 30 BauGB in der Fassung der Bekanntmachung vom 3. November 2017 (BGBl. I S. 3634), das zuletzt durch Artikel 2 des Gesetzes vom 04. Januar 2023 (BGBl. 2023 I Nr. 6) geändert worden ist, unter Beachtung des § 22 der Gemeindeordnung Rheinland-Pfalz in der Fassung vom 31.01.1994, zuletzt geändert durch Artikel 1 des Gesetzes vom 15. März 2023 (GVBl. S. 71) beschlossen den Bebauungsplan „Solarpark Heuberg“ im Regelverfahren als vorhabenbezogener Bebauungsplan aufzustellen.

Der Aufstellungsbeschluss wird hiermit gemäß § 2 Abs. 1 Satz 2 BauGB ortsüblich bekannt gemacht.

Ziele und Zwecke der Planung:

Mit der Aufstellung des Bebauungsplanes sollen die planungsrechtlichen Voraussetzungen für die Entwicklung und Errichtung eines Solarparks geschaffen werden. Die Photovoltaik-Freiflächenanlage ist mit einer Gesamtleistung von etwa 16 MWp geplant.

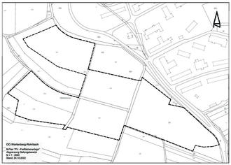
Das geplante Sondergebiet hat eine Gesamtgröße von rd. 12,6 ha und befindet sich östlich in ca. 1 km Entfernung zur Ortslage von Wartenberg-Rohrbach, im Norden schließt sich die US-Housing Heuberg an.

Der räumliche Geltungsbereich des Plangebietes umfasst die Grundstücke der Flurstücks-Nrn.: 1331 teilweise; 1332; 1334; 1353 teilweise; 1335; 1347; 1349 und 1343/1.

Die zur Bebauung vorgesehenen Grundstücke liegen im planungsrechtlichen Außenbereich. Für die Bebauung ist deshalb die Aufstellung eines Bebauungsplans mit der gleichzeitigen Änderung des Flächennutzungsplans notwendig.

Wartenberg-Rohrbach, den 26.05.2023
Winnweiler, den 26.05.2023
Verbandsgemeindeverwaltung
gez. Hans-Ulrich Schäfer
gez. Rudolf Jacob
Ortsbeigeordneter
Bürgermeister
Anlage:

Abgrenzungsplan Geltungsbereich „Solarpark Heuberg“