Titel Logo
Winnweiler Rundschau
Ausgabe 29/2023
Amtlicher Teil
Zurück zur vorigen Seite
Zurück zur ersten Seite der aktuellen Ausgabe

Öffentliche Bekanntmachung der Ortsgemeinde Gonbach

Vollzug des Baugesetzbuches (BauGB);

hier: Aufstellung der Ergänzungssatzung „Hauptstraße“ der Ortsgemeinde Gonbach im vereinfachten Verfahren nach § 13 BauGB

- Bekanntmachung des Aufstellungs- / Verfahrenseinleitungsbeschlusses gemäß § 2 Abs. 1 BauGB

- Bekanntmachung der Beteiligung der Öffentlichkeit gemäß § 3 Abs. 2 BauGB und der Beteiligung der Behörden und sonstigen Träger öffentlicher Belange gemäß § 4 Abs. 2 BauGB

Die Gemeindevertretung der Ortsgemeinde Gonbach hat am 15.06.2023 in öffentlicher Sitzung beschlossen, die Ergänzungssatzung „Hauptstraße“ im vereinfachten Verfahren nach § 13 BauGB aufzustellen.

Maßgebend ist der Entwurf der Ergänzungssatzung in der Fassung vom Juni 2023.

Der Aufstellungs- / Verfahrenseinleitungsbeschluss der Ortsgemeinde Gonbach wird hiermit gemäß § 2 Abs. 1 Satz 2 Baugesetzbuch (BauGB) ortsüblich bekanntgemacht.

Die Beteiligung der Öffentlichkeit gemäß § 3 Abs. 2 BauGB wird hiermit ortsüblich bekanntgemacht.

Ziele und Zwecke der Planung:

Die Ortsgemeinde Gonbach plant am südlichen Ortsrand zur Ortsabrundung die Ausweisung von Wohnbauflächen. In Ergänzung des bestehenden Wohngebäudes an der Hauptstraße soll zur Deckung der konkreten Nachfrage nach Wohnbauflächen die Möglichkeit zur Realisierung von zwei weiteren Wohngebäuden geschaffen werden.

Mit der Ergänzungssatzung soll die Fläche des Geltungsbereiches in den Zusammenhang der bebauten Ortslage einbezogen werden und gleichzeitig im Süden der Ortslage von Gonbach ein endgültigen Siedlungsabschluss bauplanungsrechtlich gesichert werden.

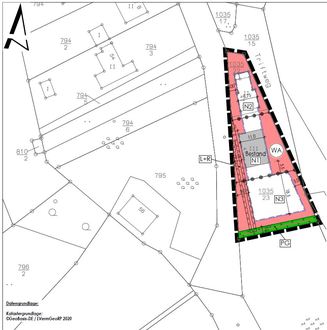
Der Geltungsbereich der Ergänzungssatzung nach § 34 Abs. 4 Nr. 3 BauGB umfasst das gesamte Grundstück mit der Flurstück-Nummer: 1035/20 und beinhaltet eine Fläche von ca. 0,2 ha (1.733 m²).

Öffentliche Auslegung:

Der Öffentlichkeit sowie den berührten Behörden und sonstigen Trägern öffentlicher Belange wird Gelegenheit zur Stellungnahme gegeben.

Die Auslegung erfolgt in der Zeit vom 31.07.2023 bis einschließlich 31.08.2023.

Die Öffentlichkeit kann sich im Rathaus der Verbandsgemeindeverwaltung Winnweiler, Jakobstraße 29, 67722 Winnweiler, Gebäude 2, Zimmer-Nummer 2-101, während der Öffnungszeiten über die allgemeinen Ziele und Zwecke, sowie die wesentlichen Auswirkungen der Planung unterrichten und sich innerhalb einer Frist von mindestens 30 Tagen zur Planung schriftlich oder zur Niederschrift äußern.

Die Auslegungszeiten sind wie folgt festgelegt: Montags, dienstags, mittwochs von 08.00 Uhr bis 12.00 Uhr und von 13.00 Uhr bis 16.30 Uhr, donnerstags von 08.00 Uhr bis 12.00 Uhr und von 13.00 Uhr bis 17.30 Uhr, freitags von 08.00 Uhr bis 12.00 Uhr.

Gegenstand der Auslegung:

- Planurkunde

- Textliche Festsetzungen

- Begründung

- Fachbeitrag Natur- und Artenschutzbelange

Hinweis:

Bei abgegebenen Stellungnahmen ist die Angabe der Anschrift des Verfassers zweckmäßig, da das Ergebnis der Behandlung der Stellungnahme mitgeteilt wird.

Gemäß § 3 Abs. 2 Satz 2 BauGB wird darauf hingewiesen, dass nicht fristgerecht abgegebene Stellungnahmen bei der Beschlussfassung über den Bauleitplan unberücksichtigt bleiben können.

Ergänzend zur Auslegung, kann der Entwurf der Ergänzungssatzung bestehend aus der Planurkunde, den Textlichen Festsetzungen, der Begründung und dem Fachbeitrag Natur- und Artenschutzbelange im Internet, unter www.winnweiler-vg.de unter der Rubrik: Rathaus, Bauen und Wohnen, Bauleitplanung, Bauleitpläne im Verfahren abgerufen bzw. eingesehen werden.

Datenschutz:

Im Zusammenhang mit dem Datenschutz wird darauf hingewiesen, dass Bauleitplanverfahren öffentliche Verfahren sind und daher alle dazu eingehenden Stellungnahmen in öffentlicher Sitzung beraten und beschlossen werden.

Gonbach, den 21.07.2023
gez. Jürgen Berberich, Ortsbürgermeister
Winnweiler, den 21.07.2023
Verbandsgemeindeverwaltung
gez. Rudolf Jacob, Bürgermeister

Anlage:

Lageplan Geltungsbereich:

Gemeinde Gonbach, Ergänzungssatzung „Hauptstraße“