Titel Logo
Winnweiler Rundschau
Ausgabe 36/2023
Amtlicher Teil
Zurück zur vorigen Seite
Zurück zur ersten Seite der aktuellen Ausgabe

Öffentliche Bekanntmachung der Ortsgemeinde Imsbach

Vollzug des Baugesetzbuches (BauGB);

Aufstellung des Bebauungsplanes

„Solarpark Kaiserstraße II“ der Gemeinde Imsbach gemäß § 2 Abs. 1 BauGB

- Bekanntmachung der frühzeitigen Öffentlichkeitsbeteiligung gemäß § 3 Abs. 1 BauGB i.V.m. der Beteiligung der Behörden und sonstigen Träger öffentlicher Belange gemäß § 4 Abs. 1 BauGB

Der Gemeinderat der Gemeinde Imsbach hat am 10.11.2022 in öffentlicher Sitzung aufgrund von § 2 Abs. 1 BauGB für den in der Planzeichnung dargestellten Bereich die Aufstellung des Bebauungsplanes „Solarpark Kaiserstraße II“ beschlossen.

Der Beschluss über die frühzeitige Beteiligung nach § 3 Abs. 1 BauGB i.V.m. § 4 Abs. 1 BauGB wurde in öffentlicher Sitzung des Gemeinderates am 10.11.2022 gefasst.

Die Bekanntmachung des Aufstellungsbeschlusses gem. § 2 Abs. 1 BauGB wurde am 08.02.2023 im Mitteilungsblatt und auf der Homepage der Gemeinde bekannt gemacht.

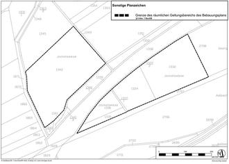
Ziel der Planung ist die planungsrechtliche Ausweisung des Geltungsbereichs als Sondergebiet Photovoltaik. Der Bebauungsplan „Solarpark Kaiserstraße II“ besteht aus zwei Teilflächen und ist Teil des „Interkommunaler Solarpark Börrstadt und Imsbach“. Der Geltungsbereich befindet sich südöstlich des Siedlungskörpers Imsbach, entlang der Autobahn A63 und der Landesstraße L401. Der Geltungsbereich umfasst eine Fläche von etwa 12 ha und beinhaltet die Flurstücknummern 1332, 1334, 1335, 1336, 1337/1 und 1342, Gemarkung Imsbach, vollständig.

Der Geltungsbereich Fläche 1 liegt an der A63 (nördlich) beinhaltet in der Flur 0 das Flurstück 1342 und grenzt an folgende Flurstücknummern an:

Im Norden: Gemarkung Imsbach, Flur 0 Flst. 1345

Im Osten: Gemarkung Imsbach, Flur 0 Flst. 1349 (Wirtschaftsweg)

Im Süden: Gemarkung Imsbach, Flur 0 Flst. 1341, 1340/3

Im Westen: Gemarkung Alsenbrück-Langmeil, Flur 0 Flst. 1872

Fläche 2 (zwischen A63 und L401) beinhaltet in der Flur 0 die Flurstücke 1332, 1334, 1335, 1336 und 1337/1 und grenzt an folgende Flurstücknummern an:

Im Norden: Gemarkung Imsbach, Flur 0 Flst. 1337/2 (Wirtschaftsweg)

Im Osten: Gemarkung Börrstadt, Flur 0 Flst. 2708 (Projektfläche Solarpark Kaiserstraße I)

Im Süden: Gemarkung Börrstadt, Flur 0 Flst. 2707 (Landstraße L401)

Im Westen: Gemarkung Imsbach, Flur 0 Flst. 1337/2 (Grünstreifen der A63)

Der Geltungsbereich des Bebauungsplanes "Solarpark Kaiserstraße II" ergibt sich aus dem nachfolgenden Plan(ohne Maßstab):

Der Öffentlichkeit wird Gelegenheit zur Stellungnahme gegeben.

Die Öffentlichkeit kann sich im Rathaus der Verbandsgemeindeverwaltung Winnweiler, Jakobstraße 29, 67722 Winnweiler, Gebäude 2, Zimmer-Nummer 2-101, während der Öffnungszeiten über die allgemeinen Ziele und Zwecke, sowie die wesentlichen Auswirkungen der Planung unterrichten und sich innerhalb einer Frist von mindestens 30 Tagen vom 18.09.2023 bis einschließlich 20.10.2023 zur Planung schriftlich oder zur Niederschrift äußern.

Die Auslegungszeiten sind wie folgt festgelegt:

Montags, dienstags, mittwochs von 08.00 Uhr bis 12.00 Uhr und von 13.00 Uhr bis 16.00 Uhr, donnerstags von 08.00 Uhr bis 12.00 Uhr und von 13.00 Uhr bis 17.30 Uhr, freitags von 08.00 Uhr bis 12.00 Uhr.

Der Inhalt der ortsüblichen Bekanntmachung und die auszulegenden Unterlagen sind zusätzlich im Internet unter der Internet-Adresse https://www.winnweiler-vg.de/rathaus/bauen-und-wohnen/bauleitplaene-im-verfahren und im zentralen Internetportal des Landes Rheinland-Pfalz unter https://www.geoportal.rlp.de/ eingestellt.

Die frühzeitige Beteiligung der betroffenen Behörden und sonstigen Träger öffentlicher Belange gemäß § 4 Abs. 1 BauGB und der Nachbargemeinden gemäß § 2 Abs. 2 BauGB erfolgt parallel zur Öffentlichkeitsbeteiligung.

Folgende Unterlagen und umweltbezogenen Informationen bzw. Planungen, Gutachten und Vermerke liegen vor und werden öffentlich ausgelegt:

  • Diese öffentliche Bekanntmachung nach § 3 Abs. 2 BauGB
  • Planzeichnung des Bebauungsplans
  • Textteil des Bebauungsplans
  • Begründung des Bebauungsplans
  • Umweltbericht (Büro Enviro-Plan, 20.07.2023) – als Teil der Begründung des Bebauungsplans
  • Potentialflächenermittlung für PV-Freiflächenanlagen vom September 2022

Hinweise:

Es wird darauf hingewiesen, dass nicht fristgerecht abgegebene Stellungnahmen gem. § 3 Abs. 2 BauGB i.V.m. § 4a Abs. 6 BauGB bei der Beschlussfassung über den Bebauungsplan unberücksichtigt bleiben können, sofern die Gemeinde deren Inhalt nicht kannte und nicht hätte kennen müssen und deren Inhalt für die Rechtmäßigkeit des Bebauungsplans nicht von Bedeutung ist.

Datenschutz:

Im Zusammenhang mit dem Datenschutz wird darauf hingewiesen, dass Bauleitplanverfahren öffentliche Verfahren sind und daher alle dazu eingehenden Stellungnahmen in öffentlicher Sitzung beraten und beschlossen werden.

Imsbach, den 08.09.2023  — Winnweiler, den 08.09.2023
Verbandsgemeindeverwaltung
gez. Oliver Krupp  — gez. Rudolf Jacob
Ortsbürgermeister  — Bürgermeister