Titel Logo
Amtsblatt der VG Bruchmühlbach-Miesau
Ausgabe 39/2023
Amtlicher Teil
Zurück zur vorigen Seite
Zurück zur ersten Seite der aktuellen Ausgabe

Widmung

Hiermit werden namens der Ortsgemeinde Bruchmühlbach-Miesau als Träger der Straßenbaulast gemäß § 36 Abs. 1 Satz 1 in Verbindung mit § 36 Abs. 3 Landesstraßengesetz für Rheinland-Pfalz (LStrG) in der Fassung vom 1. August 1977 (GVBl. S. 273) zuletzt geändert durch Gesetz vom 07.12.2022 (GVBl. S. 413) in Verbindung mit dem Beschluss des Ortsgemeinderates Bruchmühlbach-Miesau, vom 14. September 2023, in der Ortsgemeinde Bruchmühlbach-Miesau folgende Straßen und Gehwege für den öffentlichen Verkehr gewidmet:

Ortsgemeinde Bruchmühlbach-Miesau, Ortsteil Miesau

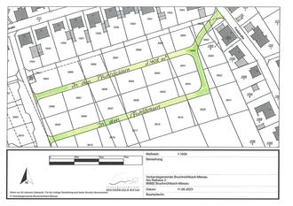
Böswiesenstraße im Bereich des Neubaugebietes „Pfuhläcker - Zwerchfeld“

Fläche mit 5.299 m² Flurstück Nr. 3870, Gemarkung Niedermiesau, sowie die Stichstraßen mit einer Teilfläche von 204 m² Flurstück Nr. 3879 und einer Teilfläche von 197 m² Flurstück Nr. 3880, Gemarkung Niedermiesau

Im Plan blau markiert

Im Zwerchfeld

Fläche von 806 m² Flurstück Nr. 3871, Gemarkung Niedermiesau

Im Plan pink markiert

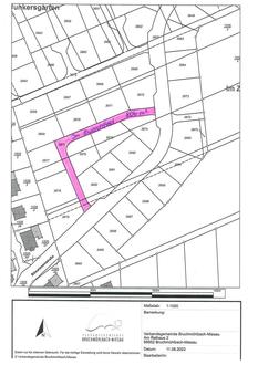
Im Junkersgarten im Bereich des Neubaugebietes „Pfuhläcker - Zwerchfeld“

Fläche von 1.113 m² Flurstück Nr. 3875, Gemarkung Niedermiesau

Im Plan gelb markiert

Im Wolfsacker

Fläche von 1.837 m² Flurstück Nr. 3876, Gemarkung Niedermiesau

Im Plan orange markiert

In den Pfuhläckern

Fläche von 2.408 m² Flurstlück Nr. 3881, Gemarkung Niedermiesau

Im Plan grün markiert

Gründe

Die Straßen und Gehwege sind fertig gestellt und können somit dem öffentlichen Verkehr zur Verfügung gestellt werden.

Rechtsbehelfsbelehrung

Gegen diesen Bescheid kann innerhalb eines Monats nach Bekanntgabe Widerspruch bei der Verbandsgemeindeverwaltung Bruchmühlbach-Miesau, Am Rathaus 2, 66892 Bruchmühlbach-Miesau schriftlich, in elektronischer Form nach § 3a Absatz 2 des Verwaltungsverfahrensgesetzes oder zur Niederschrift erhoben werden.

Ergänzender Hinweis:

Bei der Verwendung der elektronischen Form sind besondere technische Rahmenbedingungen zu beachten, die im Internet unter www.bruchmuehlbach-miesau.de im Impressum aufgeführt sind.

Verwenden Sie im Falle der elektronischen Übermittlung des Widerspruchs nur die VPS-eMail-Adresse der Verbandsgemeindeverwaltung: VGBM@poststelle.rlp.de

Bruchmühlbach-Miesau, den 22.09.2023
Verbandsgemeindeverwaltung
Erik Emich, Bürgermeister