Titel Logo
Verbandsgemeinde Göllheim aktuell
Ausgabe 47/2025
Amtlicher Teil - 185 breit
Zurück zur vorigen Seite
Zurück zur ersten Seite der aktuellen Ausgabe
-

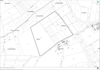
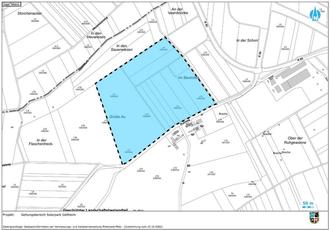
Bebauungsplan „Solarpark Ruhweg Nord“ der Ortsgemeinde Göllheim

Abgrenzung Geltungsbereich

Geltungsbereich

Ortsübliche Bekanntmachung des Aufstellungsbeschlusses gemäß § 2 Abs. 1 Satz 2 des Baugesetzbuches (BauGB)

Bekanntmachung

Gemäß § 2 Abs. 1 Satz 2 Baugesetzbuch wird bekanntgemacht, dass der Gemeinderat Göllheim in seiner Sitzung am 18.08.2025 die Aufstellung des Bebauungsplanes „Solarpark Ruhweg Nord“, beschlossen hat.

Die Ortsgemeinde Göllheim beabsichtigt die Aufstellung eines Bebauungsplanes mit der Bezeichnung „Solarpark Ruhweg Nord“, um die planungsrechtlichen Voraussetzungen für die Errichtung und den Betrieb einer Freiflächen-Photovoltaikanlage zu schaffen, die durch einen Investor realisiert werden soll.

Mit der Aufstellung des Bebauungsplanes verfolgt die Ortsgemeinde das Ziel, einen aktiven Beitrag zur Energiewende zu leisten und den Anteil erneuerbarer Energien an der Stromversorgung nachhaltig zu erhöhen. Die geplante Photovoltaikanlage steht im Einklang mit den energie- und klimapolitischen Zielsetzungen der Gemeinde und trägt wesentlich zur Reduzierung von CO₂-Emissionen bei. Gleichzeitig wird durch die Nutzung bislang unbebauter Flächen eine umweltfreundliche Stromerzeugung ermöglicht, ohne in bestehende Siedlungs- oder Landschaftsstrukturen einzugreifen.

Der Bebauungsplan „Solarpark Ruhweg Nord“ dient somit der Schaffung städtebaulicher Rahmenbedingungen für eine geordnete, nachhaltige und umweltverträgliche Nutzung der vorgesehenen Fläche. Ziel ist es, die ökologischen und wirtschaftlichen Potenziale des Standortes bestmöglich auszuschöpfen und die Gemeinde Göllheim als Standort für erneuerbare Energien weiter zu stärken.

Lage und Größe

Der geplante Bebauungsplan erstreckt sich über eine Fläche von rund 15,4 ha und liegt westlich des Siedlungsbereichs von Göllheim.

Geltungsbereich

Der zukünftige Geltungsbereich umfasst dabei die Flurstücke 1831/2, 1839/2, 1840, 1841, 1843, 1844/3, 1844/5, 1844/6, 1846, 1847, 1848, 2398/1 und 2398/2 in der Gemarkung Göllheim.

Der Geltungsbereich wird wie folgt begrenzt (unmaßstäbliche Abgrenzung des Bebauungsplans „Solarpark Ruhweg Nord“):

Der Geltungsbereich ist in der Anlage zur Bekanntmachung zeichnerisch dargestellt.

Der maßstabsgetreue Geltungsbereich des Bebauungsplan-Entwurfs liegt bei der Verbandsgemeindeverwaltung Göllheim, Fachbereich II, Zimmer 2.13, während der allgemeinen Öffnungszeiten zur Einsichtnahme aus.

Diese sind:

montags und dienstags von 8:30 bis 12:00 Uhr sowie von 14:00 bis 16:00 Uhr,

donnerstags von 8:30 bis 12:00 Uhr und von 14:00 bis 18:00 Uhr sowie mittwochs und freitags von 8:30 bis 12:00 Uhr.

Göllheim, den 13.11.2025
gez. Hartmüller (DS OG)
Ortsbürgermeister

Für die Richtigkeit

Göllheim, den 14.11.2025
gez. Antweiler (DS VG)
Bürgermeister

Geltungsbereich des Bebauungsplanentwurfes „Solarpark Ruhweg Nord“ der Ortsgemeinde Göllheim