Titel Logo
Rundschau für das Glan- und Lautertal
Ausgabe 17/2024
Öffentliche Bekanntmachungen
Zurück zur vorigen Seite
Zurück zur ersten Seite der aktuellen Ausgabe

Bekanntmachung

Aufstellung eines Bebauungsplanes „Hauptstraße / Einmündung B 270“ auf der Gemarkung Wolfstein;

Bekanntmachung des Planaufstellungsbeschlusses gemäß § 2 Abs. 1 des Baugesetzbuches (BauGB)

Der Stadtrat Wolfstein hat die Aufstellung eines Bebauungsplanes „Hauptstraße / Einmündung B 270“ zur Festsetzung einer Baufläche zur Ansiedlung eines großflächigen Lebensmittelmarktes in Form eines Vollsortimenters auf der Gemarkung Wolfstein beschlossen.

Die Bebauungsplanung erfolgt im Parallelverfahren gemäß § 8 Abs. 3 BauGB zur derzeit laufenden Aufstellung eines gemeinsamen Flächennutzungsplanes für das gesamte Gebiet der Verbandsgemeinde Lauterecken-Wolfstein.

Gegenstand der Bebauungsplanung ist die Festsetzung eines Sonstigen Sondergebietes gemäß § 11 Abs. 2 der Baunutzungsverordnung (BauNVO)sowie die mit dieser Flächenausweisung einhergehenden Kompensationsmaßnahmen in erforderlichem Umfang.

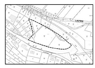
Im Einzelnen betroffen sind voraussichtlich die Grundstücke Flst. Nr. 353/6, 353/7, 364/2, 364/3, 364/5, 365/2, 365/3, 479/12 und 479/13 der Gemarkung Wolfstein.

Das vorgesehene Plangebiet ist in dem nachstehend veröffentlichten Planauszug mit einer unterbrochenen Linie dargestellt.

Das Erfordernis zur Planaufstellung ergibt sich aus der städtebaulichen Notwendigkeit, die aus Gründen der Sicherstellung der Versorgung der Bevölkerung, Schaffung von Arbeitsplätzen und Entwicklung zentraler Versorgungsbereiche in einer mit der geordneten städtebaulichen Entwicklung und den sonstigen planungsrelevanten öffentlichen und privaten Belangen verträglichen Lage auszuweisen. Damit folgt die Stadt Wolfstein dem planerischen Gebot aus § 1 Abs. 5 BauGB, einer nachhaltigen städtebaulichen Entwicklung, welche die sozialen, wirtschaftlichen und umweltschützenden Anforderungen auch in Verantwortung gegenüber künftigen Generationen miteinander in Einklang bringt, zu gewährleisten.

Die Abgrenzung des vorgesehenen Plangebietes und der Gegenstand der Bebauungsplanung stehen unter dem Vorbehalt einer evtl. Änderung oder Ergänzung im weiteren Planaufstellungsverfahren.

Der Planaufstellungsbeschluss wird hiermit gemäß § 2 Abs. 1 Satz 2 BauGB ortsüblich bekannt gemacht.

Wolfstein, den 11.04.2024
Für die Stadt Wolfstein:
gez. Dilly, Stadtbürgermeister

Aufstellung eines Bebauungsplanes „Hauptstraße / Einmündung B 270“ der Gemarkung Wolfstein;

Bekanntmachung des Planaufstellungsbeschlusses gemäß § 2 Abs. 1 BauGB

--- Grenze des räumlichen Geltungsbereiches