Titel Logo
Rundschau für das Glan- und Lautertal
Ausgabe 17/2025
Öffentliche Bekanntmachungen
Zurück zur vorigen Seite
Zurück zur ersten Seite der aktuellen Ausgabe

Bekanntmachung

1. Teiländerung der Neufassung des Bebauungsplanes „Flur“, St. Julian, Ortsteil Gumbsweiler im beschleunigten Verfahren gemäß § 13a des Baugesetzbuches (BauGB)

a)

Bekanntmachung des Planaufstellungsbeschlusses gemäß § 2 Abs. 1 BauGB

Der Ortsgemeinderat St. Julian hat die 1. Teiländerung der Neufassung des Bebauungsplanes „Flur“ im beschleunigten Verfahren gemäß § 13a BauGB beschlossen.

Die 1. Teiländerung des Bebauungsplanes ersetzt in seinem Geltungsbereich der Neufassung des Bebauungsplanes „Flur“ aus dem Jahr 2023 lediglich getroffene Regelungsinhalte (GRZ). Die übrigen Festsetzungen der Neufassung des Bebauungsplanes „Flur“ bleiben hiervon unberührt.

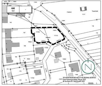
Der räumliche Geltungsbereich der 1. Teiländerung des Bebauungsplanes „Flur“ umfasst die Grundstücke Flurstück Nr. 1170/2 und 1171/2 der Gemarkung Gumbsweiler.

Die genaue Gebietsabgrenzung ergibt sich aus dem nachstehend veröffentlichten Auszug aus dem Bebauungsplanentwurf.

Die Veranlassung zur 1. Teiländerung des Bebauungsplanes ergibt sich aus dem Planerfordernis, den dringend benötigten Wohnraum innerhalb der Ortsgemeinde schaffen zu können und die Bebaubarkeit der Grundstücke durch eine erneute Anpassung zu gewährleisten.

Gemäß § 13a Abs. 2 Satz 1 Nr. 1 in Verbindung mit § 13 Abs. 3 Satz 1 BauGB wird von der Umweltprüfung nach § 2 Abs. 4 BauGB, von dem Umweltbericht nach § 2a BauGB, von der Angabe nach § 3 Abs. 2 Satz 2 BauGB, welche Arten umweltbezogener Informationen verfügbar sind, sowie von der zusammenfassenden Erklärung nach § 10a Abs. 1 BauGB abgesehen; § 4c BauGB ist nicht anzuwenden.

Der Planaufstellungsbeschluss wird hiermit gemäß § 2 Abs. 1 Satz 2 BauGB ortsüblich bekannt gemacht.

b)

Bekanntmachung öffentliche Auslegung gemäß 3 Abs. 2 BauGB

Der Entwurf dieses Bebauungsplanes in der Fassung „Februar 2025“, wird mit den planungsrechtlichen textlichen Festsetzungen und der Begründung gemäß § 13a BauGB i. V. m. § 13 Abs. 2 Satz 1 Nr. 2, 2. Alternative BauGB sowie dem Inhalt dieser Bekanntmachung gemäß § 3 Abs. 2 in der Zeit von

25. April 2025 bis einschließlich 27. Mai 2025

auf der Homepage der Verbandsgemeindeverwaltung Lauterecken-Wolfstein unter

https://www.vg-lw.de/buerger-verwaltung/bauen-wohnen/bauleitplanung/

aktuelles/

eingestellt. Die Unterlagen können dort eingesehen bzw. heruntergeladen werden.

Die Unterrichtung der Öffentlichkeit über die allgemeinen Ziele und Zwecke sowie die wesentlichen Auswirkungen der Planung und die Möglichkeit zur Äußerung der Öffentlichkeit zur Planung (§ 13a Abs. 3 Satz 1 Nr. 2 BauGB) wird im Rahmen der öffentlichen Auslegung gemäß § 3 Abs. 2 BauGB sichergestellt.

Gemäß § 13a Abs. 3 Satz 1 und 2 BauGB wird hiermit ortsüblich bekannt gemacht, dass der Bebauungsplan im beschleunigten Verfahren ohne Durchführung einer Umweltprüfung nach § 2 Abs. 4 BauGB aufgestellt wird und gemäß § 13 Abs. 3 Satz 1 BauGB von dem Umweltbericht nach § 2a BauGB, von der Angabe nach § 3 Abs. 2 Satz 2 BauGB, welche Arten umweltbezogener Informationen verfügbar sind, sowie von der zusammenfassenden Erklärung nach § 10a Abs. 1 BauGB abgesehen wird.

Zu dem Entwurf der 1. Teiländerung zur Neufassung des Bebauungsplanes „Flur“ der Ortsgemeinde St. Julian im beschleunigten Verfahren gemäß 13a BauGB in der Planfassung „Februar 2025“ mit den planungsrechtlichen textlichen Festsetzungen und der Begründung können anlässlich der öffentlichen Auslegung während der Auslegungsfrist Stellungnahmen schriftlich bei der Verbandsgemeindeverwaltung Lauterecken-Wolfstein, Standort Wolfstein, Bergstraße 2, 67752 Wolfstein oder elektronisch unter nachfolgender E-Mail Adresse bauleitplanung@vg-lw.de abgegeben werden. Nicht fristgerecht abgegebene Stellungnahmen können bei der Beschlussfassung über den Bauleitplan unberücksichtigt bleiben (§ 3 Abs. 2, Satz 4, Nr. 1-4 BauGB i. V. mit § 4a Abs. 5 BauGB).

St. Julian, den 15.04.2025
Für die Ortsgemeinde St. Julian:
gez. Gruber
Gruber, Ortsbürgermeister

1. Teiländerung zur Neufassung des Bebauungsplanes „Flur“ im beschleunigten Verfahren gemäß § 13a des Baugesetzbuches (BauGB);

Bekanntmachung des Planaufstellungsbeschlusses gemäß § 2 Abs. 1 BauGB

--- Grenze räumlicher Geltungsbereich

Übersichtslageplan

Datengrundlage: Geobasisinformationen der Vermessungs- und Katasterverwaltung Rheinland-Pfalz (Zustimmung vom 15. Oktober 2002)