Titel Logo
Rundschau für das Glan- und Lautertal
Ausgabe 24/2025
Öffentliche Bekanntmachungen
Zurück zur vorigen Seite
Zurück zur ersten Seite der aktuellen Ausgabe

Bekanntmachung

Aufstellung eines Bebauungsplanes für eine Photovoltaik-Freiflächenanlage „Flürchen“ der Gemarkung Hohenöllen;

Bekanntmachung des Planaufstellungsbeschlusses gemäß § 2 Abs. 1 BauGB

Der Ortsgemeinderat Hohenöllen hat die Aufstellung eines Bebauungsplanes für eine Photovoltaik-Freiflächenanlage „Flürchen“ im Parallelverfahren gemäß § 8 Abs. 3 BauGB zur derzeit laufenden Aufstellung eines gemeinsamen Flächennutzungsplanes für das Gebiet der Verbandsgemeinde Lauterecken-Wolfstein beschlossen.

Gegenstand der vorgesehenen Aufstellung des Bebauungsplans ist die Ausweisung eines Sonstigen Sondergebietes gemäß § 11 Abs. 2 der Baunutzungsverordnung (BauNVO) für die Errichtung und den Betrieb einer Photovoltaik-Freiflächenanlage sowie die mit dieser Flächenausweisung einhergehenden Kompensationsmaßnahme in erforderlichem Umfang.

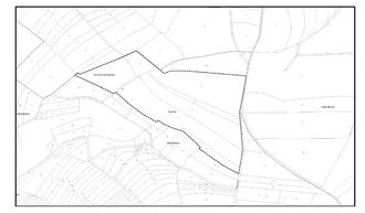
Der vorgesehene räumliche Geltungsbereich des Bebauungsplanes „Flürchen“ umfasst eine Fläche von voraussichtlich rd. 9,1 Hektar und liegt im nördlichen Bereich der Gemarkung Hohenöllen, ca. 1,5 km von der Ortslage Hohenöllen und ca. 850 m von der Ortslage Cronenberg entfernt. Im Einzelnen betroffen sind voraussichtlich die Grundstücke Flst. Nr. 1535, 1538, 1545, 1548, 1550, 1552, 1554 und die Teilfläche des Grundstücks Flst. Nr. 1560/2 (Weg) der Gemarkung Hohenöllen.

Das vorgesehene Plangebiet ist in dem nachstehend veröffentlichten Planauszug mit einer unterbrochenen Linie dargestellt.

Das Erfordernis zur Planaufstellung ergibt sich aus der städtebaulichen Notwendigkeit, die aus Gründen des Klimaschutzes und der in diesem Sinne angestrebten Energiewende notwendige Bereitstellung von Flächen zur Nutzung erneuerbarer Energien in einer mit der geordneten städtebaulichen Entwicklung und den sonstigen planungsrelevanten öffentlichen und privaten Belangen verträglichen Lage auszuweisen. Damit folgt die Ortsgemeinde Hohenöllen dem planerischen Gebot aus § 1 Abs. 5 BauGB, eine nachhaltige städtebauliche Entwicklung, welche die sozialen, wirtschaftlichen und umweltschützenden Anforderungen auch in Verantwortung gegenüber künftigen Generationen miteinander in Einklang bringt, zu gewährleisten.

Die Abgrenzung des vorgesehenen Plangebietes und der Gegenstand der Bebauungsplanung stehen unter dem Vorbehalt einer evtl. Änderung oder Ergänzung im weiteren Planaufstellungsverfahren.

Der Planaufstellungsbeschluss wird hiermit gemäß § 2 Abs. 1 Satz 2 BauGB ortsüblich bekannt gemacht.

Hohenöllen, den 02.06.2025
Für die Ortsgemeinde Hohenöllen:
gez. Reule
Reule, Ortsbürgermeister

Aufstellung eines Bebauungsplanes für eine Photovoltaik-Freiflächenanlage „Flürchen“ der Gemarkung Hohenöllen;

Bekanntmachung des Planaufstellungsbeschlusses gemäß § 2 Abs. 1 BauGB

--- Grenze des räumlichen Geltungsbereiches