Titel Logo
Rundschau für das Glan- und Lautertal
Ausgabe 31/2024
Öffentliche Bekanntmachungen
Zurück zur vorigen Seite
Zurück zur ersten Seite der aktuellen Ausgabe

Bekanntmachung

Aufstellung eines Bebauungsplanes für eine Photovoltaik-Freiflächenanlage „Auf der Heide/Hinterm Görgenwäldchen“ in der Gemarkung Offenbach

Bekanntmachung des Planaufstellungsbeschlusses gemäß § 2 Abs. 1 BauGB

Der Ortsgemeinderat Offenbach-Hundheim hat die Aufstellung eines Bebauungsplanes zur Festsetzung einer Baufläche für eine Photovoltaik-Freiflächenanlage „Auf der Heide/Hinterm Görgenwäldchen“ der Gemarkung Offenbach beschlossen.

Gegenstand der Bebauungsplanung ist die Festsetzung eines Sonstigen Sondergebietes im Sinne des § 11 Abs. 2 der Baunutzungsverordnung (BauNVO) sowie die mit dieser Flächenausweisung einhergehenden Kompensationsmaßnahmen in erforderlichem Umfang.

Im Einzelnen betroffen sind voraussichtlich die Grundstücke Flur 1, Flst. Nr. 99/38 (Weg) teilweise, Flur 2, Flst. Nr. 2, 6, 8, 11/4, 12/1, 12/2 (Weg), 12/3, 12/4, 156, 203/1, 203/2, 204/1, 204/2, 205/1, 205/2, 501/10, 502/1, 528/7, 530/8, 532/7, 533/7, 553/9, 554/9, 677/7, 690/5, 691/5 und teilweise Flst. Nr. 3/4, 28/6, 157 und 733/149 (Weg) der Gemarkung Offenbach.

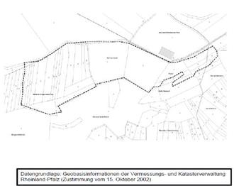
Das vorgesehene Plangebiet ist in dem nachstehend veröffentlichten Planauszug mit einer unterbrochenen Linie dargestellt.

Das Erfordernis zur Planaufstellung ergibt sich aus der städtebaulichen Notwendigkeit, die aus Gründen der angestrebten Energiewende notwendige Bereitstellung von Flächen zur Nutzung erneuerbarer Energien in einer mit der geordneten städtebaulichen Entwicklung und den sonstigen planungsrelevanten öffentlichen und privaten Belangen verträglichen Lage auszuweisen. Damit folgt die Ortsgemeinde Offenbach-Hundheim dem planerischen Gebot aus § 1 Abs. 5 BauGB, eine nachhaltige städtebauliche Entwicklung, welche die sozialen, wirtschaftlichen und umweltschützenden Anforderungen auch in Verantwortung gegenüber künftigen Generationen miteinander in Einklang bringt, zu gewährleisten.

Der Bebauungsplan wird gemäß § 8 Abs. 3 BauGB im Parallelverfahren zur Gesamtfortschreibung des Flächennutzungsplanes der Verbandsgemeinde Lauterecken-Wolfstein aufgestellt.

Die Abgrenzung des vorgesehenen Plangebietes und der Gegenstand der Bebauungsplanung stehen unter dem Vorbehalt einer evtl. Änderung oder Ergänzung im weiteren Planaufstellungsverfahren.

Der Planaufstellungsbeschluss wird hiermit gemäß § 2 Abs. 1 Satz 2 BauGB ortsüblich bekannt gemacht.

Offenbach-Hundheim, den 25.07.2024
Für die Ortsgemeinde Offenbach-Hundheim:
gez. Dr. Alt
Dr. Roland Alt, Ortsbürgermeister

Aufstellung eines Bebauungsplanes für eine Photovoltaik-Freiflächenanlage „Auf der Heide/Hinterm Görgenwäldchen“ der Gemarkung Offenbach;

Bekanntmachung des Planaufstellungsbeschlusses gemäß § 2 Abs. 1 BauGB

--- Grenze des räumlichen Geltungsbereiches