Titel Logo
Rundschau für das Glan- und Lautertal
Ausgabe 31/2025
Öffentliche Bekanntmachungen
Zurück zur vorigen Seite
Zurück zur ersten Seite der aktuellen Ausgabe

Bekanntmachung

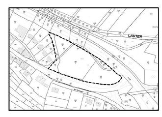
Datengrundlage: Geobasisinformationen der Vermessungs- und Katasterverwaltung Rheinland-Pfalz (Zustimmung vom 15. Oktober 2002)

Aufstellung eines Bebauungsplanes „Hauptstraße / Einmündung B270“ der Stadt Wolfstein;

öffentliche Auslegung gemäß § 3 Abs. 2 BauGB

Der Stadtrat Wolfstein hat die Annahme des Entwurfes zur Aufstellung des Bebauungsplanes „Hauptstraße / Einmündung B270“ in der von der BBP Stadtplanung Landschaftsplanung PartGmbB, Kaiserslautern, ausgearbeiteten Fassung beschlossen.

Der Entwurf dieses Bebauungsplanes in der Fassung „Juli 2025“, wird mit den planungsrechtlichen und bauordnungsrechtlichen textlichen Festsetzungen und der Begründung sowie dem Inhalt dieser Bekanntmachung gemäß § 3 Abs. 2 in der Zeit von

01. August 2025 bis einschließlich 03. September 2025

auf der Homepage der Verbandsgemeindeverwaltung Lauterecken-Wolfstein unter

https://www.vg-lw.de/buerger-verwaltung/bauen-wohnen/bauleitplanung/

aktuelles/

eingestellt. Die Unterlagen können dort eingesehen bzw. heruntergeladen werden.

Folgende wesentlich, bereits vorliegende umweltbezogene Informationen bzw. Planungen, Gutachten und Vermerke liegen vor, werden ebenfalls auf der Homepage eingestellt und liegen öffentlich aus (§ 3 Abs. 2 Satz 1 BauGB):

Umweltbericht (Büro BBP PartGmbB, Kaiserslautern, 30.06.2025) – als Teil der Begründung des Bebauungsplans

Fachbeitrag Naturschutz zum Bebauungsplan (Büro BBP PartGmbB, Kaiserslautern, 30.06.2025)

Artenschutzrechtliche Vorprüfung, Büro BBP PartGmbB, Kaiserslautern, 03.09.2024

Regionaler Raumordnungsplan Westpfalz IV

Flächennutzungsplan der ehem. Verbandsgemeinde Wolfstein sowie Vorentwurfsfassung der Neuaufstellung des Flächennutzungsplans der Verbandsgemeinde Lauterecken-Wolfstein

Baugrunduntersuchung „Neubau eines EDEKA-Marktes, Hauptstraße, 67752 Wolfstein“, BUG Consult GmbH, Kirchheimbolanden, 15.05.2025

Erläuterungsbericht zur Wasserhaushaltsbilanz, Bebauungsplan Hauptstraße/B270, Neubau Edeka-Markt Wolfstein, Planungsbüro Goldbach, Poppenhausen (Wasserkuppe), 13.06.2025

Schalltechnische Immissionsprognose zum Bebauungsplan „Hauptstraße / Einmündung B270“, Ingenieurbüro für Bauphysik Dipl.-Ing. Ch. Malo, Kallstadt, 30.06.2025

Der Umweltbericht enthält Informationen zu folgenden Themen:

Tiere / Pflanzen, Schutzgebiete /-objekte und geschützte Arten, Geologie / Boden, Wasser / Wasserhaushalt, Luft / Klima, Orts- und Landschaftsbild / Erholung, Mensch, Kultur- und Sachgüter, Wechselwirkungen zwischen den einzelnen Schutzgütern

Der Fachbeitrag Naturschutz zum Bebauungsplan enthält folgende Informationen:

Darlegung der Bestandssituation,

Bewertung des Zustandes von Natur und Landschaft,

Beschreibung von Zielvorstellungen für Natur und Landschaft,

Darstellung von erwartenden Auswirkungen der Planung auf Naturhaushalt und Landschaftsbild,

Darlegung von landespflegerischen Maßnahmen zur Vermeidung und Minimierung, zum Ausgleich sowie zur Gestaltung,

Eingriffs- / Ausgleichsbilanzierung,

Zusammengefasste landespflegerische Beurteilung.

Stellungnahmen mit umweltbezogenen Informationen der Behörden und sonstiger Träger öffentlicher Belange liegen zu folgenden Themenblöcken vor:

Schutzgut Mensch

Struktur- und Genehmigungsdirektion (SGD) Süd, Regionalstelle Wasser-, Abfallwirtschaft und Bodenschutz Kaiserslautern, 05.03.2025

Landesamt für Geologie und Bergbau Rheinland-Pfalz, 10.03.2025

Es wurden Aussagen getroffen bzw. Hinweise gegeben:

zu Altablagerungen /Altstandorte, zu schädlichen Bodenveränderungen, zu Rutschungen (z.B. Standsicherheitsproblemen), Hinweise zu negativen Auswirkungen des ehemaligen Bergbaus (Bodensetzungen und Sackungen)

Schutzgut Boden / Wasser

Kreisverwaltung Kusel, Untere Wasserbehörde, 12.03.2025

Landesamt für Geologie und Bergbau Rheinland-Pfalz, 10.03.2025

Landesbetrieb Mobilität Rheinland-Pfalz, LBM Kaiserslautern, 25.03.2025

Planungsgemeinschaft Westpfalz, 04.03.2025

Struktur- und Genehmigungsdirektion (SGD) Süd, Regionalstelle Wasser-, Abfallwirtschaft und Bodenschutz Kaiserslautern, 05.03.2025

Verbandsgemeindeverwaltung Lauterecken-Wolfstein, Fachbereich 4 – Kommunale Betriebe (Verbandsgemeindewerke) 11.03.2025

Es wurden Aussagen getroffen bzw. Hinweise gegeben:

zu Wasserschutzgebieten, zu Bodenschutzflächen, zur temporären Grundwasserhaltung, zur EU-Wasserrahmenrichtlinie enthaltene Verschlechterungsverbot für niederschlagsbedingte Siedlungsabflüsse, zum Umgang mit anfallenden Oberflächenwasser, zur Entwässerungsplanung, zum ehemaligen Abbau von Kalkstein und zum Steinkohlebergbau in der Gemarkung Wolfstein, zu austretendem Grubenwasser des südlich gelegenen Kalksteinbruchs und heutigen Besucherbergwerk, zur entwässerungstechnischen Erschließung, zur Einleiterlaubnis in Gewässer, zu Starkregenereignissen und Belangen des Hochwasserschutzes, zu Vorsorgemaßnahmen im Hinblick auf Starkregenereignisse, zur Entwässerungskonzeption inklusive Wasserhaushaltsbilanz, zum Abwasser, zu Abwasseranlagen, zum Entwässerungsgebiet, zum Bodenschutz, zu Altablagerungen /Altstandorte, zu schädlichen Bodenveränderungen, zu Rutschungen (z.B. Standsicherheitsproblemen), zum Umgang mit anfallenden Niederschlagswasser

Schutzgut Tiere / Pflanzen / Schutzgebiete des Naturschutzrechts / Eingriffs-,

Ausgleichsregelung

Kreisverwaltung Kusel, Untere Naturschutzbehörde, 11.03.2025

Landesbetrieb Mobilität Rheinland-Pfalz, LBM Kaiserslautern, 25.03.2025

Planungsgemeinschaft Westpfalz, 04.03.2025

Landwirtschaftskammer Rheinland-Pfalz, 13.03.2025

Es wurden Aussagen getroffen bzw. Hinweise gegeben:

zu gesetzlich geschützten oder besonders schützenswerte Biotopen, zur ergänzenden Kompensation eines 800m² Gehölzstreifens, zu Bepflanzungsmaßnahmen im Bereich der Bauverbotszone, zur Überplanung einer Kompensationsfläche aus einem Planaufstellungsbeschluss von 11.08.1993, zu Flächen für externen Ausgleichsmaßnahmen, zum Verlauf des landesweiten Biotopverbundes,

Schutzgut Landschaftsbild und Erholung

Kreisverwaltung Kusel, Untere Naturschutzbehörde, 11.03.2025

Landesbetrieb Mobilität Rheinland-Pfalz, LBM Kaiserslautern, 25.03.2025

Es wurden Aussagen getroffen bzw. Hinweise gegeben:

zum Eingriff in Natur und Landschaft, zur Bepflanzung im Bereich der Bauverbotszone

Schutzgut Klima / Luft

Es sind keine Stellungnahmen mit Aussagen bzw. Hinweisen zu dem Schutzgut Klima / Luft vorhanden.

Schutzgut Kultur- und Sachgüter

Generaldirektion Kulturelles Erbe Rheinland-Pfalz, Direktion Landesarchäologie, Außenstelle Speyer, 28.02.2025

Deutsche Telekom Technik GmbH, TI NL Südwest, 07.02.2025

Pfalzwerke Netz AG, 10.03.2025

Es wurden Aussagen getroffen bzw. Hinweise gegeben:

zur Berücksichtigung von Kleindenkmälern, zu Versorgungseinrichtungen, zu Telekommunikationslinien, zur Kabelschutzanweisung

Umweltbezogene Stellungnahmen seitens der Öffentlichkeit liegen zu nachfolgenden Themenblöcken vor:

Stellungnahme 1, 20.02.2025: Berücksichtigung des Ortsbildes durch Ausrichtung und Gestaltung des Edeka Marktes

Stellungnahme 2, 09.03.2025: Berücksichtigung des Ortsbildes durch Ausrichtung und Gestaltung des Edeka Marktes, Anmerkung zur Fassadenbegrünung

Der Geltungsbereich des Bebauungsplanes „Hauptstraße / Einmündung B270“ umfasst die Grundstücke der Flurstück-Nummern 353/7, 353/6, 364/2, 364/3, 364/5, 365/2 (teilweise), 365/3, 479/12 und 479/13 der Gemarkung Wolfstein.

Die genaue Gebietsabgrenzung ergibt sich aus dem nachstehend veröffentlichten Auszug aus dem Bebauungsplanentwurf.

Der Bebauungsplan wird gemäß § 8 Abs. 3 BauGB im Parallelverfahren zu der Neuaufstellung des Flächennutzungsplanes für die Verbandsgemeinde Lauterecken-Wolfstein aufgestellt.

Zu dem Entwurf des Bebauungsplanes „Hauptstraße / Einmündung B 270“ der Stadt Wolfstein in der Fassung „Juli 2025“, mit den planungsrechtlichen und bauordnungsrechtlichen textlichen Festsetzungen und der Begründung mit Umweltbericht, können anlässlich der öffentlichen Auslegung während der Auslegungsfrist Stellungnahmen schriftlich bei der Verbandsgemeindeverwaltung Lauterecken-Wolfstein, Standort Wolfstein, Bergstraße 2, 67752 Wolfstein oder unter nachfolgender E-Mail Adresse bauleitplanung@vg-lw.de abgegeben werden. In begründeten Fällen können die Unterlagen auf Anfrage analog zur Verfügung gestellt werden (§ 3 Abs. 2 Satz 2 PlanSiG). Nicht fristgerecht abgegebene Stellungnahmen können bei der Beschlussfassung über den Bauleitplan unberücksichtigt bleiben (§ 3 Abs. 2, Satz 2, 2. Halbsatz BauGB i. V. mit § 4a Abs. 6 Satz 1 BauGB).

Wolfstein, den 23. Juli 2025
Für die Stadt Wolfstein:
in Vertretung:
gez. Moser
Moser, Beigeordneter

Aufstellung eines Bebauungsplanes „Hauptstraße / Einmündung B 270“ der Stadt Wolfstein;

öffentliche Auslegung gemäß § 3 Abs. 2 BauGB

--- Grenze des räumlichen Geltungsbereiches