Titel Logo
Rundschau für das Glan- und Lautertal
Ausgabe 41/2024
Öffentliche Bekanntmachungen
Zurück zur vorigen Seite
Zurück zur ersten Seite der aktuellen Ausgabe

Bekanntmachung

Aufstellung eines Bebauungsplanes zur Neufassung des Bebauungsplanes „Brühl“ der Ortsgemeinde Hefersweiler im beschleunigten Verfahren gemäß § 13a des Baugesetzbuches (BauGB);

Bekanntmachung des Planaufstellungsbeschlusses gemäß § 2 Abs. 1 BauGB

Der Ortsgemeinderat Hefersweiler hat die Aufstellung eines Bebauungsplanes zur Neufassung des Bebauungsplanes „Brühl“ im beschleunigten Verfahren gemäß § 13a BauGB beschlossen.

Gegenstand der vorgesehenen Neufassung ist

  • die Ausweisung der bisherigen Grünfläche mit Spielplatz als Baufläche für eine Gemeinbedarfseinrichtung (Kindergarten)
  • die Bereinigung und Anpassung der gestalterischen (bauordnungsrechtlichen) Festsetzungen und
  • die Nachverdichtung unter sparsamem und schonendem Umgang mit Grund und Boden um neue Baumöglichkeiten zu schaffen (siehe §§ 1 Abs. 5 Satz 3 und 1a Abs. 2 BauGB)

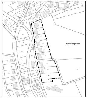
Der vorgesehene räumliche Geltungsbereich des Bebauungsplanes zur Neufassung des Bebauungsplanes „Brühlacker“ im beschleunigten Verfahren gemäß §13a BauGB umfasst die Grundstücke Flst. Nr. 54/4, 108 (Teilfläche Weg), 109, 110, 111, 113, 114, 168, 169, 170 und 171 der Gemarkung Hefersweiler.

Der Geltungsbereich des Bebauungsplanes ist in dem nachstehend veröffentlichten Planauszug mit einer unterbrochenen Linie dargestellt.

Mit der Neufassung soll eine Nachverdichtung unter sparsamem und schonendem Umgang mit Grund und Boden, die Aktualisierung des Bebauungsplanes entsprechend der städtebaulichen Entwicklung der Gemeinde und die Bereinigung und Anpassung der gestalterischen (bauordnungsrechtlichen) Festsetzungen vorgenommen werden.

Die Neufassung des Bebauungsplanes „Brühl“ erfolgt im beschleunigten Verfahren gemäß § 13a BauGB. Die Abgrenzung des vorgesehenen Plangebietes und der Gegenstand der Neufassung des Bebauungsplans stehen unter dem Vorbehalt der Änderung oder Ergänzung im weiteren Planaufstellungsverfahren.

Gemäß § 13a Abs. 2 Satz 1 Nr. 1 BauGB i. V. m. § 13 Abs. 3 Satz 1 BauGB wird von der Umweltprüfung nach § 2 Abs. 4 BauGB, von dem Umweltbericht nach § 2a BauGB, von der Angabe nach § 3 Abs. 2 Satz 2 BauGB, welche Arten umweltbezogener Informationen verfügbar sind, sowie von der zusammenfassenden Erklärung nach § 10a Abs. 1 BauGB abgesehen; § 4c BauGB ist nicht anzuwenden.

Der Planaufstellungsbeschluss wird hiermit gemäß § 2 Abs. 1 Satz 2 BauGB ortsüblich bekannt gemacht.

Hefersweiler, den 02.10.2024
Für die Ortsgemeinde Hefersweiler:
gez. Armbrust
Armbrust, Ortsbürgermeister

Aufstellung eines Bebauungsplanes zur Neufassung des Bebauungsplanes „Brühl“ im beschleunigten Verfahren gemäß § 13a des Baugesetzbuches (BauGB); Bekanntmachung des Planaufstellungsbeschlusses gemäß § 2 Abs. 1 BauGB

--- Grenze räumlicher Geltungsbereich

Datengrundlage: Geobasisinformationen der Vermessungs- und Katasterverwaltung

Rheinland-Pfalz (Zustimmung vom 15. Oktober 2002)