Titel Logo
Rundschau für das Glan- und Lautertal
Ausgabe 43/2022
Öffentliche Bekanntmachungen
Zurück zur vorigen Seite
Zurück zur ersten Seite der aktuellen Ausgabe

Bekanntmachung

Satzung der Ortsgemeinde Medard über eine Veränderungssperre für das Gebiet des in der Aufstellung befindlichen Bebauungsplanes „Windpark Medard 2“ vom 17. Oktober 2022

Der Ortsgemeinderat Medard hat auf Grund der §§ 14 und 16 des Baugesetzbuches (BauGB), bekannt gemacht am 03. November 2017 (BGBI. I S. 3634) in der derzeit gültigen Fassung in Verbindung mit § 24 der Gemeindeordnung Rheinland-Pfalz vom 31. Januar 1994 (GVBl. Seite 153, BS Rh-Pf 2020-1) in der derzeit gültigen Fassung in seiner Sitzung am 13. Oktober 2022 folgende Satzung beschlossen, die hiermit bekannt gemacht wird:

§ 1

Zu sichernde Planung

Der Ortsgemeinderat Medard hat in seiner Sitzung am 13. Oktober 2022 beschlossen, für das in § 2 dieser Satzung bezeichnete Gebiet einen Bebauungsplan mit der Bezeichnung „Windpark Medard 2“ aufzustellen. Zur Sicherung der Planung für dieses Gebiet wird die Veränderungssperre erlassen.

§ 2

Räumlicher Geltungsbereich

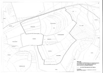
Die Veränderungssperre erstreckt sich auf die Grundstücke Flur 5, Flurstück-Nr. 2, 3, 4, 5, 6, 42, 47, 49, 50, 48, 46, 45, 44, 41, 39, 37, 40, 33, 32, 34, 31, 30, 29, 28, 27, 17, 26, 19, 20, 25, 24, 23, 22 und 21 sowie Teilflächen der Grundstücke Flur 5, Flurstück Nr. 36/2 und 16 der Gemarkung Medard.

Der räumliche Geltungsbereich der Veränderungssperre ist in der beiliegenden Planurkunde dargestellt. Die Planurkunde ist Bestandteil dieser Satzung.

§ 3

Rechtswirkung der Veränderungssperre

(1) Im räumlichen Geltungsbereich der Veränderungssperre dürfen:

1. Vorhaben im Sinne des § 29 BauGB nicht durchgeführt und bauliche Anlagen nicht beseitigt werden; Vorhaben im Sinne des § 29 BauGB sind:

a) Vorhaben, die die Errichtung, Änderung oder Nutzungsänderung von baulichen Anlagen zum Inhalt haben, und

b) Aufschüttungen und Abgrabungen größeren Umfangs sowie Ausschachtungen, Ablagerungen einschließlich Lagerstätten;

2. erhebliche oder wesentlich wertsteigernde Veränderungen von Grundstücken und baulichen Anlagen, deren Veränderungen nicht genehmigungs-, zustimmungs- oder anzeigepflichtig sind, nicht vorgenommen werden.

(2) Wenn überwiegende öffentliche Belange nicht entgegenstehen, kann von der Veränderungssperre eine Ausnahme zugelassen werden.

(3) Vorhaben, die vor dem Inkrafttreten der Veränderungssperre baurechtlich genehmigt worden sind, Vorhaben, von denen die Gemeinde nach Maßgabe des Bauordnungsrechts Kenntnis erlangt hat und mit deren Ausführung vor dem Inkrafttreten der Veränderungssperre hätte begonnen werden dürfen, sowie Unterhaltungsarbeiten und die Fortführung einer bisher ausgeübten Nutzung werden von der Veränderungssperre nicht berührt.

§ 4

Inkrafttreten und Außerkrafttreten der Veränderungssperre

Die Veränderungssperre tritt am Tag der ortsüblichen Bekanntmachung in Kraft. Sie tritt nach Ablauf von zwei Jahren, vom Tag der Bekanntmachung gerechnet, außer Kraft. Auf die Zweijahresfrist ist der seit der Zustellung der ersten Zurückstellung eines Baugesuchs nach § 15 BauGB abgelaufenen Zeitraum anzurechnen. Die Veränderungssperre tritt in jedem Fall außer Kraft, sobald und soweit der Bebauungsplan für das in § 2 genannte Gebiet rechtsverbindlich abgeschlossen ist.

Medard, den 17. Oktober 2022
Für die Ortsgemeinde Medard:
gez. Graf, Ortsbürgermeister

Gleichzeitig wird auf folgende Vorschriften hingewiesen:

a)

Auf die Vorschriften des § 18 Abs. 2 Satz 2 und 3 BauGB über die Geltendmachung etwaiger Entschädigungsanspräche für eingetretene Vermögensnachteile durch die Veränderungssperre nach § 18 BauGB und des § 18 Abs. 3 BauGB über das Erlöschen der Entschädigungsansprüche bei nicht fristgemäßer Geltendmachung wird hingewiesen.

b)

§ 215 Abs. 1 Nr. 1, 2 und 3 des Baugesetzbuches vom 03. November 2017 (BGBl. I S. 3634) in der derzeit gültigen Fassung „unbeachtlich werden

1.

eine nach § 214 Abs. 1 Satz 1 Nr. 1 bis 3 beachtliche Verletzung der dort bezeichneten Verfahrens- und Formvorschriften,

2.

eine unter Berücksichtigung des § 214 Abs. 2 beachtliche Verletzung der Vorschriften über das Verhältnis des Bebauungsplans und des Flächennutzungsplans und

3.

nach § 214 Abs. 3 Satz 2 beachtliche Mängel des Abwägungsvorgangs, wenn sie nicht innerhalb eines Jahres seit Bekanntmachung des Flächennutzungsplans oder der Satzung schriftlich gegenüber der Gemeinde unter Darlegung des die Verletzung begründenden Sachverhalts geltend gemacht worden sind. Satz 1 gilt entsprechend, wenn Fehler nach § 214 Abs. 2a BauGB beachtlich sind.“

c) § 24 Abs. 6 der Gemeindeordnung für Rheinland-Pfalz (GemO) vom 31. Januar 1994 (GVBl. S 153, BS 2020-1) in der derzeit gültigen Fassung:„Satzung, die unter Verletzung von Verfahrens- oder Formvorschriften dieses Gesetzes oder auf Grund dieses Gesetzes zustande gekommen sind, gelten ein Jahr nach der Bekanntmachung als von Anfang an gültig zustande gekommen. Dies gilt nicht, wenn

1.

die Bestimmungen über die Öffentlichkeit der Sitzung, die Genehmigung, die Ausfertigung oder die Bekanntmachung der Satzung verletzt worden sind, oder

2.

vor Ablauf der in Satz 1 genannten Frist die Aufsichtsbehörde den Beschluss beanstandet oder jemand die Verletzung der Verfahrens- oder Formvorschriften gegenüberder Gemeindeverwaltung unter Bezeichnung des Sachverhalts, der die Verletzung begründet soll, schriftlich gelten gemacht hat.

Hat jemand eine Verletzung nach Satz 2 Nr. 2 geltend gemacht, so kann auch nach Ablauf der in Satz 1 genannten Frist jedermann diese Verletzung geltend machen.“

Medard, den 17. Oktober 2022
Für die Ortsgemeinde Medard:
Graf, Ortsbürgermeister