Titel Logo
Rundschau für das Glan- und Lautertal
Ausgabe 45/2025
Öffentliche Bekanntmachungen
Zurück zur vorigen Seite
Zurück zur ersten Seite der aktuellen Ausgabe

Rutsweiler an der Lauter - Bekanntmachung

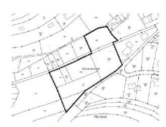
Aufstellung eines Bebauungsplanes „Krumme Äcker“ Ortsgemeinde Rutsweiler an der Lauter;

frühzeitige Öffentlichkeitsbeteiligung gemäß § 3 Abs. 1 des Baugesetzbuches (BauGB)

Der Ortsgemeinderat von Rutsweiler a. d. L. hat die Aufstellung des Bebauungsplanes „Krumme Äcker“ beschlossen und führt nunmehr auf der Grundlage des vom Planungsbüro BBP, Kaiserslautern, aufgestellten Vorentwurfes in der Planfassung „August 2025“, die frühzeitige Öffentlichkeitsbeteiligung gemäß § 3 Abs. 1 BauGB durch.

Die Bebauungsplanung erfolgt im Parallelverfahren gemäß § 8 Abs. 3 BauGB zur derzeit laufenden Aufstellung eines gemeinsamen Flächennutzungsplanes für das gesamte Gebiet der Verbandsgemeinde Lauterecken-Wolfstein.

Gegenstand der Bebauungsplanung ist die Festsetzung eines Allgemeinen Wohngebietes (WA) im Sinne des § 4 der Baunutzungsverordnung (BauNVO). Die Ausnahmen gemäß § 4 Abs. 3 BauNVO sollen im Bebauungsplan allesamt ausgeschlossen werden.

Der vorgesehene räumliche Geltungsbereich des Bebauungsplanes umfasst voraussichtlich die Grundstücke Flst. Nr. 369, 376, 377/1, 424/2, 425, 1436/19 sowie eine Teilfläche des Grundstückes Flst. Nr. 378 der Gemarkung Rutsweiler a. d. L.

Das Plangebiet ist in dem nachstehend veröffentlichten Planauszug mit einer unterbrochenen Linie dargestellt.

Die Veranlassung zur Aufstellung des Bebauungsplanes „Krumme Äcker“ ergibt sich aus dem Planerfordernis, zur Sicherung der städtebaulichen Entwicklung und Ordnung der Ortsgemeinde Rutsweiler a. d. L. und der Ausweisung neuer Bauflächen für die Eigenentwicklung der Ortsgemeinde im vertretbaren Umfang für Erweiterungen, die in anderer Weise (Wiedernutzbarmachung vorhandener, brach gefallener Bausubstanz, Schließung von Baulücken etc.) nicht gedeckt werden kann.

Um das mit Bekanntmachung vom 31. Juli 2025, veröffentlicht im Amtsblatt am 08. August 2025, eingeleitete planerische Verfahren fortzuführen, wird hiermit die nach § 3 Abs. 1 BauGB vorzunehmende frühzeitige Öffentlichkeitsbeteiligung eröffnet. Nach dieser Vorschrift ist die Öffentlichkeit möglichst frühzeitig über die allgemeinen Ziele und Zwecke der Planung, sich wesentlich unterscheidende Lösungen, die für die Neugestaltung oder Entwicklung des Gebietes in Betracht kommen, und die voraussichtlichen Auswirkungen der Planung öffentlich zu unterrichten; ihr ist Gelegenheit zur Äußerung und Erörterung zu geben.

Zu diesem Zweck wird der Vorentwurf des Bebauungsplanes „Krumme Äcker“, Planfassung „August 2025“ mit den planungsrechtlichen und bauordnungsrechtlichen textlichen Festsetzungen, der Begründung mit Umweltbericht, dem Fachbeitrag Naturschutz sowie der artenschutzrechtlichen Einschätzung ab sofort bis zum 10. Dezember 2025 auf der Homepage der Verbandsgemeindeverwaltung Lauterecken-Wolfstein unter https://www.vg-lw.de/buerger-verwaltung/bauen-wohnen/bauleitplanung/aktuelles/ eingestellt.

Die Unterlagen können dort eingesehen bzw. heruntergeladen werden.

Die frühzeitige Öffentlichkeitsbeteiligung (sog. Scoping) gemäß § 3 Abs. 1 BauGB wird durch eine Veröffentlichung im Internet durchgeführt. Stellungnahmen, Eingaben etc. können schriftlich bei der Verbandsgemeindeverwaltung Lauterecken-Wolfstein, Standort Wolfstein, Bergstraße 2, 67752 Wolfstein oder unter nachfolgender E-Mail Adresse bauleitplanung@vg-lw.de abgegeben werden.

Unberührt hiervon bleibt die später noch durchzuführende öffentliche Auslegung des Planentwurfes nach § 3 Abs. 2 BauGB, auf die zu gegebener Zeit noch hingewiesen wird.

Rutsweiler a. d. L., den 30.10.2025
Für die Ortsgemeinde Rutsweiler a. d. L.:
gez. Landfried
Landfried, Ortsbürgermeister

Aufstellung eines Bebauungsplanes „Krumme Äcker“ der Ortsgemeinde Rutsweiler a. d. L.;

frühzeitige Öffentlichkeitsbeteiligung gemäß § 3 Abs. 1 des Baugesetzbuches (BauGB)

--- Grenze räumlicher Geltungsbereich

Datengrundlage: Geobasisinformationen der Vermessungs- und Katasterverwaltung Rheinland-Pfalz (Zustimmung vom 15. Oktober 2002)