Titel Logo
Rundschau für das Glan- und Lautertal
Ausgabe 46/2022
Öffentliche Bekanntmachungen
Zurück zur vorigen Seite
Zurück zur ersten Seite der aktuellen Ausgabe

Bekanntmachung

Wegen Fehlerhaftigkeit der Bekanntmachung des Planaufstellungsbeschlusses in der Ausgabe des Amtsblattes Nr. 43/2022 vom 28.10.2022 wird aus Rechtssicherheitsgründen die Bekanntmachung wiederholt.

Bekanntmachung

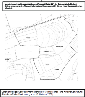
Aufstellung eines Bebauungsplanes „Windpark Medard 2“ der Ortsgemeinde Medard;

Bekanntmachung des Planaufstellungsbeschlusses gemäß § 2 Abs. 1 des Baugesetzbuches (BauGB)

Der Ortsgemeinderat von Medard hat die Aufstellung eines Bebauungsplanes „Windpark Medard 2“ im Parallelverfahren gemäß § 8 Abs. 3 BauGB zur derzeit laufenden Aufstellung eines gemeinsamen Flächennutzungsplanes für das Gebiet der Verbandsgemeinde Lauterecken-Wolfstein beschlossen.

Gegenstand der vorgesehenen Aufstellung des Bebauungsplanes „Windpark Medard 2“ ist die Ausweisung von Sonderbauflächen für die Errichtung und den Betrieb von Windenergieanlagen.

Der vorgesehene räumliche Geltungsbereich des Bebauungsplanes „Windpark Medard 2“ liegt nördlich der Ortslage Medard und südlich des Feldweges „Römerstraße“, benachbart zu den Gemarkungen Löllbach, Breitenheim und Odenbach. Im Einzelnen betroffen sind die Grundstücke Flur 5, Flst. Nr. 2, 3, 4, 5, 6, 12, 13, 14, 15, 17, 19, 20, 21, 22, 23, 24, 25, 26, 27, 28, 29, 30, 31, 32, 33, 34, 35, 37, 39, 40, 41, 42, 44, 45, 46, 47, 48, 49 und 50 sowie Teilflächen der Grundstücke Flur 5, Flst. Nr. 16 und 36/2 (beides Wege) der Gemarkung Medard.

Der vorgesehene räumliche Geltungsbereich ist in dem nachstehend veröffentlichten Lageplan skizzenhaft dargestellt.

Das Erfordernis zur Planaufstellung ergibt sich aus der städtebaulichen Notwendigkeit, die aus Gründen der angestrebten Energiewende notwendige Bereitstellung von Flächen zur Nutzung erneuerbarer Energien in einer mit der geordneten städtebaulichen Entwicklung und den sonstigen planungsrelevanten öffentlichen und privaten Belangen verträglichen Lage auszuweisen. Damit folgt die Ortsgemeinde Medard dem planerischen Gebot aus § 1 Abs. 5 BauGB, eine nachhaltige städtebauliche Entwicklung, welche die sozialen, wirtschaftlichen und umweltschützenden Anforderungen auch in Verantwortung gegenüber künftigen Generationen miteinander in Einklang bringt, zu gewährleisten.

Der vorgesehene räumliche Geltungsbereich des Bebauungsplanes „Windpark Medard 2“ sowie die vorgesehenen Festsetzungen stehen unter dem Vorbehalt der Ergänzung oder Änderung im weiteren Planaufstellungsverfahren.

Der Planaufstellungsbeschluss wird hiermit gemäß § 2 Abs. 1 Satz 2 BauGB ortsüblich bekannt gemacht.

Medard, den 07.11.2022
Für die Ortsgemeinde Medard:
gez. Graf, Ortsbürgermeister