Titel Logo
Rundschau für das Glan- und Lautertal
Ausgabe 5/2026
Öffentliche Bekanntmachungen
Zurück zur vorigen Seite
Zurück zur ersten Seite der aktuellen Ausgabe

Reipoltskirchen - Bekanntmachung

Aufstellung eines Bebauungsplanes für eine Photovoltaik-Freiflächenanlage „Schaeresäcker“ der Gemarkung Reipoltskirchen;

Bekanntmachung des Planaufstellungsbeschlusses gemäß § 2 Abs. 1 BauGB

Der Ortsgemeinderat Reipoltskirchen hat die Aufstellung eines Bebauungsplanes für eine Photovoltaik-Freiflächenanlage „Schaeresäcker“ im Parallelverfahren gemäß § 8 Abs. 3 BauGB zur derzeit laufenden Aufstellung eines gemeinsamen Flächennutzungsplanes für das Gebiet der Verbandsgemeinde Lauterecken-Wolfstein beschlossen.

Gegenstand der vorgesehenen Aufstellung des Bebauungsplans „Schaeresäcker“ ist die Ausweisung von Sonstigen Sondergebieten gemäß § 11 Abs. 2 der Baunutzungsverordnung (BauNVO) für die Errichtung und den Betrieb von Photovoltaik-Freiflächenanlagen.

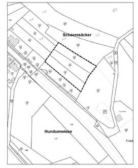
Der vorgesehene räumliche Geltungsbereich des Bebauungsplans „Schaeresäcker“ umfasst voraussichtlich rund 2.500 m² und liegt westlich der Hauptstraße Richtung Hefersweiler. Betroffen sind die Grundstücke Flurstück-Nr. 727/6, 727/7 und 727/8 der Gemarkung Reipoltskirchen.

Das vorgesehene Plangebiet ist in dem nachstehend veröffentlichten Planauszug mit einer unterbrochenen Linie dargestellt.

Das Erfordernis zur Planaufstellung ergibt sich aus der städtebaulichen Notwendigkeit, die aus Gründen des Klimaschutzes und der in diesem Sinne angestrebten Energiewende die Bereitstellung von Flächen zur Nutzung erneuerbarer Energien in einer mit der geordneten städtebaulichen Entwicklung und den sonstigen planungsrelevanten öffentlichen und privaten Belangen verträglichen Lage ausweist. Die Ortsgemeinde Reipoltskirchen folgt damit dem planerischen Gebot aus § 1 Abs. 5 BauGB, eine nachhaltige städtebauliche Entwicklung zu gewährleisten.

Die Abgrenzung des vorgesehenen Plangebietes und der Gegenstand der Bebauungsplanung stehen unter dem Vorbehalt einer evtl. Änderung oder Ergänzung im weiteren Planaufstellungsverfahren.

Der Planaufstellungsbeschluss wird hiermit gemäß § 2 Abs. 1 Satz 2 BauGB ortsüblich bekannt gemacht.

Reipoltskirchen, den 21.01.2026
Für die Ortsgemeinde Reipoltskirchen:
gez. Eckert
Eckert, Beauftragter f. d. Ortsgemeinde Reipoltskirchen

Aufstellung eines Bebauungsplanes für eine Photovoltaik-Freiflächenanlage „Schaeresäcker“ der Gemarkung Reipoltskirchen;

Bekanntmachung des Planaufstellungsbeschlusses gemäß § 2 Abs. 1 BauGB --- Grenze des räumlichen Geltungsbereiches