Titel Logo
Rundschau für das Glan- und Lautertal
Ausgabe 5/2026
Öffentliche Bekanntmachungen
Zurück zur vorigen Seite
Zurück zur ersten Seite der aktuellen Ausgabe

Bekanntmachung

Aufstellung eines Bebauungsplanes zur 3. Änderung des Bebauungsplanes „Die Hofstücker“ mit Erweiterung (Teilbereichsänderung) im beschleunigten Verfahren gemäß § 13b des Baugesetzbuches (BauGB);

Aufhebung des Planaufstellungsbeschlusses gemäß § 2 Abs. 1 BauGB vom 03. November 2022

Der Ortsgemeinderat von Homberg beschloss in seiner Sitzung am 03. November 2022 den Planaufstellungsbeschluss für den Bebauungsplan zur 3. Änderung des Bebauungsplanes „Die Hofstücker“ mit Erweiterung (Teilbereichsänderung) im beschleunigten Verfahren gemäß § 13b BauGB.

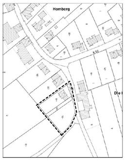
Der vorgesehene Geltungsbereich des Bebauungsplanes mit Erweiterung (Teilbereichsänderung) umfasst die Grundstücke Flur 6, Flst. Nr. 43/2, 42/5, 42/4 und 42/9 der Gemarkung Homberg.

Der räumliche Geltungsbereich ist in beigefügtem Lageplan mit einer unterbrochenen Linie dargestellt.

Im Rahmen der Beteiligung der Behörden gingen Stellungnahmen ein, welche die Umsetzung der beabsichtigten Planänderungen in dem Maße erschwerten, dass die Gemeinde nach Rücksprache mit den Vertragspartnern von der Fortführung des Verfahrens Abstand nehmen musste.

Ferner hat das Bundesverwaltungsgericht (BVerwG) mit Urteil vom 18.07.2023 entschieden, dass § 13b BauGB nicht den Anforderungen der SUP-Richtlinie (Richtlinie 2001/42/EG; Richtlinie über die strategische Umweltprüfung) genügt, insbesondere hinsichtlich der Pflicht zur Durchführung einer Umweltprüfung. Durch Entscheidung des Bundesverwaltungsgerichtes wurde der § 13b BauGB als unzulässig verworfen und zum 31.12.2023 aufgehoben.

Durch den Wegfall des § 13b BauGB wäre eine Änderung der Verfahrensart erforderlich gewesen, die erhöhte Planungskosten zur Folge gehabt hätten.

Der Ortsgemeinderat von Homberg hat daraufhin in seiner Sitzung am 05. November 2025 die Aufhebung des Planaufstellungsbeschlusses vom 03. November 2022 beschlossen.

Der Planaufstellungsbeschluss vom 03. November 2022 wird hiermit aufgehoben und der Beschluss gemäß § 2 Abs. 1 Satz 2 BauGB ortsüblich bekannt gemacht.

Homberg, den 22.01.2026
Für die Ortsgemeinde Homberg:
gez. Lorentz
Lorentz, 1. Beigeordneter

Aufstellung eines Bebauungsplanes zur 3. Änderung des Bebauungsplanes „Die Hofstücker“ mit Erweiterung (Teilbereichsänderung) der Ortsgemeinde Homberg im beschleunigten Verfahren gemäß § 13b des Baugesetzbuches (BauGB);

Aufhebung des Planaufstellungsbeschlusses gemäß § 2 Abs. 1 BauGB vom 03. November 2022

Grenze räumlicher Geltungsbereich ---