Titel Logo
Rundschau für das Glan- und Lautertal
Ausgabe 6/2025
Öffentliche Bekanntmachungen
Zurück zur vorigen Seite
Zurück zur ersten Seite der aktuellen Ausgabe

Bekanntmachung

Aufstellung eines Bebauungsplanes „Hauptstraße / Einmündung B270“ der Stadt Wolfstein

Frühzeitige Öffentlichkeitsbeteiligung gemäß § 3 Abs. 1 des Baugesetzbuches (BauGB)

Der Stadtrat von Wolfstein hat die Aufstellung des Bebauungsplanes „Hauptstraße / Einmündung B270“ beschlossen und führt nunmehr auf der Grundlage des vom Planungsbüro BBP, Kaiserslautern, aufgestellten Vorentwurfes des Bebauungsplanes „Hauptstraße / Einmündung B270“, in der Planfassung „Januar 2025“, die frühzeitige Öffentlichkeitsbeteiligung gemäß § 3 Abs. 1 BauGB durch.

Gegenstand des Bebauungsplanes ist die Ausweisung einer Fläche als Sonderbaufläche (SO) gemäß § 10 BauNVO.

Das Erfordernis zur Planaufstellung ergibt sich aus der Notwendigkeit, für die Eigenentwicklung der Stadt Wolfstein, neue Bauflächen für Gewerbetreibende auszuweisen. Die vorhandene Bausubstanz im Bereich des Stadtkerns, wie auch im Geltungsbereich des Bebauungsplans „Pfingstweide“ ist hierfür nicht geeignet. Die Ausweisung ist daher unumgänglich, um die Versorgung der Bevölkerung mit Waren des täglichen Bedarfs, die der Grundversorgung, insbesondere mit Lebensmitteln, dienen, zu sichern.

Der Geltungsbereich des Bebauungsplanes „Hauptstraße / Einmündung B270“ umfasst voraussichtlich die Grundstücke der Flurstück-Nummern 353/7, 353/6, 364/2, 364/3, 364/5, 365/2 (teilweise), 365/3, 479/12 und 479/13 der Gemarkung Wolfstein.

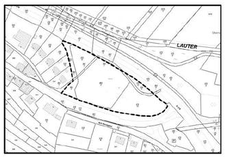
Das vorgesehene Plangebiet ist in dem nachstehend veröffentlichten Planauszug mit einer unterbrochenen Linie dargestellt.

Um das mit Bekanntmachung vom 11. April 2024, veröffentlicht im Amtsblatt am 26. April 2024, eingeleitete planerische Verfahren fortzuführen, wird hiermit die nach § 3 Abs. 1 BauGB vorzunehmende frühzeitige Öffentlichkeitsbeteiligung eröffnet. Nach dieser Vorschrift ist die Öffentlichkeit möglichst frühzeitig über die allgemeinen Ziele und Zwecke der Planung, sich wesentlich unterscheidende Lösungen, die für die Neugestaltung oder Entwicklung des Gebietes in Betracht kommen, und die voraussichtlichen Auswirkungen der Planung öffentlich zu unterrichten; ihr ist Gelegenheit zur Äußerung und Erörterung zu geben.

Zu diesem Zweck wird der Vorentwurf des Bebauungsplanes „Hauptstraße / Einmündung B270“, Planfassung „Januar 2025“ mit den planungsrechtlichen und bauordnungsrechtlichen textlichen Festsetzungen, der Begründung mit Umweltbericht, dem Fachbeitrag Naturschutz sowie der artenschutzrechtlichen Einschätzung ab sofort bis zum 12. März 2025 auf der Homepage der Verbandsgemeindeverwaltung Lauterecken-Wolfstein unter

https://www.vg-lw.de/buerger-verwaltung/bauen-wohnen/bauleitplanung/

aktuelles/

eingestellt. Die Unterlagen können dort eingesehen bzw. heruntergeladen werden.

Die frühzeitige Öffentlichkeitsbeteiligung (sog. Scoping) gemäß § 3 Abs. 1 BauGB wird durch eine Veröffentlichung im Internet durchgeführt. Stellungnahmen, Eingaben etc. können schriftlich bei der Verbandsgemeindeverwaltung Lauterecken-Wolfstein, Standort Wolfstein, Bergstraße 2, 67752 Wolfstein oder unter nachfolgender E-Mail Adresse bauleitplanung@vg-lw.de abgegeben werden.

Unberührt hiervon bleibt die später noch durchzuführende öffentliche Auslegung des Planentwurfes nach § 3 Abs. 2 BauGB, auf die zu gegebener Zeit noch hingewiesen wird.

Wolfstein, den 30.01.2025
Für die Stadt Wolfstein:
gez. Nickel
Nickel, Stadtbürgermeister

Aufstellung eines Bebauungsplanes „Hauptstraße / Einmündung B270“ der Stadt Wolfstein

Frühzeitige Öffentlichkeitsbeteiligung gemäß § 3 Abs. 1 des Baugesetzbuches (BauGB)

--- Grenze räumlicher Geltungsbereich