Titel Logo
Talpost Lambrecht
Ausgabe 32/2025
Amtliche Bekanntmachungen
Zurück zur vorigen Seite
Zurück zur ersten Seite der aktuellen Ausgabe

Amtliche Bekanntmachung

Ortsgemeinde Weidenthal

Änderung Bebauungsplan „Bahnüberführung Weißenbachstraße – Teilbereich Neubau und Rückbau Funkmast“

Zur Sicherstellung einer geordneten baulichen Weiterentwicklung im Bereich der Hauptstraße und der Weißenbachstraße in der Ortsgemeinde Weidenthal hat der Gemeinderat Weidenthal in seiner öffentlichen Sitzung am 11. Juli 2025 beschlossen, den Planentwurf der Bebauungsplanänderung

Bahnüberführung Weißenbachstraße Teilbereich Neubau und Rückbau Funkmast

mit textlichen Festsetzungen und Begründung anzunehmen.

Gem. § 3 Abs. 2 BauGB sind die Entwürfe der Bauleitplanung mit dem Erläuterungsbericht und der Begründung innerhalb angemessener Frist öffentlich auszulegen. Den Bürgerinnen und Bürgern wird während dieser Zeit Gelegenheit zur Äußerung und Erörterung gegeben. Diese Auslegung wird in

der Zeit vom

18. August 2025 bis einschließlich 19. September 2025

bei der Verbandsgemeindeverwaltung Lambrecht (Pfalz), Sommerbergstraße 3, 67466 Lambrecht (Pfalz), Zimmer 205, durchgeführt. Weiterhin können die maßgeblichen Unterlagen auf der Home-page der Verbandsgemeinde Lambrecht (Pfalz) unter www.vg-lambrecht.de – Bürger – Satzungen und Ordnungen – Ortsgemeinde Weidenthal – Bebauungsplan „Bahnüberführung Weißenbachstraße – Teilbereich Neubau und Rückbau Funkmast“ eingesehen werden.

Die Stellungnahmen können während der Auslegungsfrist abgegeben werden. Nicht fristgerecht abgegebene Stellungnahme können bei der Beschlussfassung über die Bauleitplanung unberücksichtigt bleiben (§ 3 Abs. 2 Satz 2, 2. Halbsatz BauGB). Von einer Umweltprüfung wird abgesehen (§ 13 Abs. 3 Satz 2 BauGB).

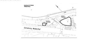
Der Geltungsbereich des geänderten Teilbereiches des Bebauungsplans „Bahnüberführung Weißenbachstraße – Teilbereich Neubau und Rückbau Funkmast“ kann dem beigefügten Planauszug entnommen werden.

Weidenthal, den 06.08.2025
Ortsgemeinde Weidenthal
Ralf Kretner, Ortsbürgermeister